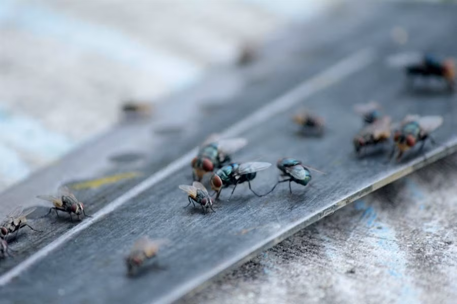
Theo thông tin đăng tải, mới đây ngôi làng Lazorevy, ở Sverdlovsk, Nga bị hàng triệu con ruồi đen xâm chiếm.
Những con ruồi đen này có kích thước rất lớn và bay theo đàn. Mỗi lần hoạt động, trông chúng chẳng khác nào quân đoàn bay, tạo ra những âm thanh ồn ào vô cùng đáng sợ.
Trên đường phố, những cánh đồng, ở mọi nơi, những con ruồi đen đều có mặt.
![]() |
| Ảnh minh họa. |
Mặc dù bị cư dân trong làng tìm mọi biện pháp diệt trừ, quân đoan bay ruồi đen vẫn không hề sợ hãi. Chúng được tìm thấy chất đống chết mặt đất, trong phòng tắm, trong phòng ngủ, khiến cư dân trong làng không thể chịu đựng nổi.
Cô Elena Karpova, một cư dân trong làng cho biết, những con ruồi không hề biết sợ, chúng cứ như thiêu thân lao vào nhà dân, khiến mọi người không dám ra ngoài đường, hạn chế mở cửa ra vào còn cửa sổ thì luôn phải đóng.
Mốt số cư dân khác trong làng toàn ruồi bâu ai oán, nói rằng họ đang sống trong điều kiện kinh khủng, chẳng khác nào một bộ phim kinh dị. Không chỉ thế, sức sinh sản siêu mạnh của đàn ruồi đen cũng khiến tất cả mọi người lo lắng về vấn đề bệnh tật sinh sôi.
Mời quý vị xem video: Kinh dị ngôi làng bị xâm chiếm bởi quân đoàn ruồi.
Được biết, sự hỗn loạn này bắt nguồn từ một nông dân có tên Andrey Savchenko. Người này chuyên sử dụng chất thải của gà làm phân bón, thu hút đàn ruồi đen đến nơi đây.
Hiện tại, ủy ban điều tra Nga đã cử các chuyên gia điều tra vụ việc. Trong khi đó, chủ trang trại gà, nơi cung cấp phân gà cho nông dân, ông Maxim Maksimov phủ nhận mọi cáo buộc liên quan đến đàn ruồi.
"Những con ruồi không có bất cứ dấu hiệu nào cho thấy là chúng tới vì trang trại của tôi. Những con ruồi đã tồn tại hàng triệu năm, có mặt khắp mọi nơi, chẳng qua lần này quá nhiều mà thôi", ông Maxim nói.
