Siêu bão Surigae sắp đổ bộ, Philippines sơ tán gần 20.000 dân

Hơn 19.000 người dân tỉnh Catanduanes sơ tán đến nơi trú ẩn tạm thời để tránh siêu bão cách Catanduanes 290 km về phía Đông hôm 18/4.

Ông Roberto Monterola, Giám đốc Trung tâm Điều hành Khẩn cấp tỉnh Catanduanes, hầu hết những người sơ tán sống ở các khu vực ven biển và vùng trũng thấp có nguy cơ xảy ra lũ quét và triều cường.
Trong bản tin thời tiết chiều 18/4, Cơ quan Quản lý dịch vụ Khí quyển, Địa vật lý và Thiên văn Philippines (PAGASA) cho biết bão Surigae suy yếu nhẹ và di chuyển chậm lại. Lần cuối cùng nó được quan sát là khi cách tỉnh Catanduanes 290 km về phía Đông.
Sieu bao Surigae sap do bo, Philippines so tan gan 20.000 dan
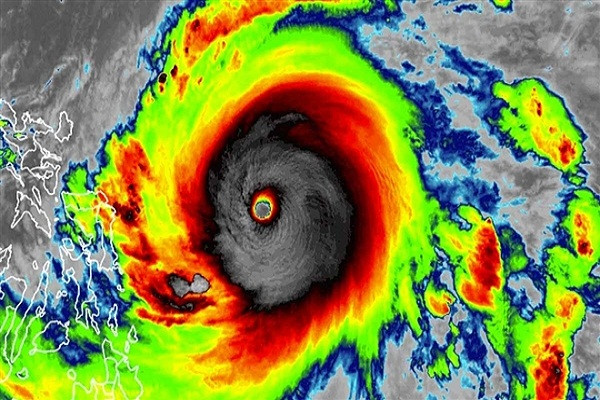
Surigae là siêu bão đầu đầu tiên tấn công Philippines năm 2021. (Ảnh: CNN) 
Surigae hiện di chuyển theo hướng Tây - Tây Bắc với tốc độ 15 km/h, sức gió vùng gần tâm bão lên tới 205 km/h.
Theo dữ liệu của Cơ quan Khí quyển và Đại dương Quốc gia Mỹ, Surigae hiện là cơn bão mạnh nhất được ghi nhận trong tháng Tư, vượt qua siêu bão Maysak vào năm 2015.
Trước đó, PAGASA ra cảnh báo tại các đảo Luzon, Visayas, Northern Samar, Eastern Samar, Samar và Mindanao. Giới chức cũng báo động nguy cơ xảy ra lũ lụt, lũ quét và sạt lở đất trong cơn bão.
Surigae là siêu bão đầu đầu tiên tấn công Philippines năm 2021. Trung bình mỗi năm quốc gia Đông Nam Á đón 20 cơn bão.
Siêu bão Surigae di chuyển chậm về phía Philippines sau khi nó phát triển vào đầu tuần trước và nhanh chóng mạnh lên vào ngày 16-17/4 khi ở gần Biển Đông.

Toàn cảnh siêu bão Hagibis tàn phá Nhật Bản

(Kiến Thức) - Siêu bão Hagibis mang theo những cơn mưa lớn và gió mạnh đã đổ bộ vào Nhật Bản cuối tuần qua, gây thiệt hại nặng nề và làm đảo lộn cuộc sống của người dân đất nước mặt trời mọc.

Toan canh sieu bao Hagibis tan pha Nhat Ban
 Theo Kyodo News, siêu bão Hagibis đã đổ bộ vào đảo Honshu của Nhật Bản cuối tuần qua với sức gió lên tới 144 km/h. Ảnh: NASA. 

Toan canh sieu bao Hagibis tan pha Nhat Ban-Hinh-2
Siêu bão Hagibis, được đánh giá là mạnh nhất trong vòng 60 năm qua, đã càn quét Tokyo vào tối 12/10, mang theo lượng mưa lên tới 0,5 m. Những cơn mưa lớn và gió mạnh trút xuống thủ đô Tokyo cùng các khu vực lân cận. Ảnh: EPA.  

Toan canh sieu bao Hagibis tan pha Nhat Ban-Hinh-3
 Nhiều thành phố và thị trấn ở các tỉnh Nagano, Niigata, Miyagi, Fukushima, Ibaraki, Kanagawa và Saitama chìm trong biển nước. Lượng mưa kỷ lục đo được tại nhiều nơi của Nhật Bản, trong đó có thị trấn nghỉ dưỡng nổi tiếng Hakone. Ảnh: Reuters. 

Toan canh sieu bao Hagibis tan pha Nhat Ban-Hinh-4
 Tính đến thời điểm hiện tại, ít nhất 35 người thiệt mạng và 17 người mất tích do bão Hagibis. Ngoài ra, 166 người bị thương, NHK đưa tin. Ảnh: Reuters.

Toan canh sieu bao Hagibis tan pha Nhat Ban-Hinh-5
 Do ảnh hưởng của bão Hagibis, khoảng 425.000 hộ gia đình bị cắt điện và 14.000 người không có nước sinh hoạt. Ảnh: JT.

Toan canh sieu bao Hagibis tan pha Nhat Ban-Hinh-6
Tối 12/10, tàu chở hàng Jia De của Panama đã bị chìm ở Vịnh Tokyo giữa lúc siêu bão Hagibis đổ bộ vào Nhật Bản. Tại thời điểm xảy ra vụ tai nạn, trên tàu có 3 người Myanmar, 7 người Trung Quốc cùng hai thuyền viên người Việt Nam. Ảnh: MT. 

Toan canh sieu bao Hagibis tan pha Nhat Ban-Hinh-7
 Lực lượng Bảo vệ Bờ biển Nhật Bản (JCG) thông báo 5 thủy thủ đã thiệt mạng, 4 người được cứu sống và 3 người vẫn mất tích. Trong hai thuyền viên Việt Nam có một người đã được cứu là thủy thủ Phạm Văn Đức, còn thủy thủ Nguyễn Văn Trì vẫn mất tích. Ảnh: AP. 

Toan canh sieu bao Hagibis tan pha Nhat Ban-Hinh-8
 Tại tỉnh Nagano, nước lũ nhấn chìm nhiều ngôi nhà và khiến khoảng 360 người mắc kẹt sau khi nước sông Chikuma tràn bờ, Kyodo News đưa tin. Lực lượng cứu hộ đã phải sử dụng trực thăng và thuyền bè để giải cứu người dân tại vùng lũ. Ảnh: EPA. 

Toan canh sieu bao Hagibis tan pha Nhat Ban-Hinh-9
 Được biết, hơn 7 triệu người đã được lệnh di tản. Nhiều người dân ở Tokyo đã đến các trung tâm sơ tán tạm thời để lánh nạn trước khi siêu bão Hagibis ập tới. Ảnh: Reuters.

Toan canh sieu bao Hagibis tan pha Nhat Ban-Hinh-10
 Lực lượng phòng vệ Nhật Bản đưa người dân địa phương ra khỏi khu vực ngập lụt ở Kakuda, tỉnh Miyagi, ngày 13/10. Ảnh: Reuters.

Toan canh sieu bao Hagibis tan pha Nhat Ban-Hinh-11
 Người dân dọn dẹp con đường đầy bùn đất ở Marumori, tỉnh Miyagi, sau khi bão Hagibis đi qua. Ảnh: Reuters.

Toan canh sieu bao Hagibis tan pha Nhat Ban-Hinh-12
 Lực lượng cảnh sát, cứu hộ tuần tra tại khu vực bị cô lập ở Nagono hôm 14/10 sau khi nước sông Chikuma tràn bờ. Ảnh: Reuters.

Toan canh sieu bao Hagibis tan pha Nhat Ban-Hinh-13
 Nhiều tòa nhà bị phá hủy trong cơn bão Hagibis. Ảnh: Getty.

Toan canh sieu bao Hagibis tan pha Nhat Ban-Hinh-14
Lực lượng cứu hộ đưa người dân địa phương ra khỏi khu vực ngập lụt ở Date, tỉnh Fukushima. Ảnh: Getty. 

Ngoạn mục cảnh giải cứu người dân khỏi vùng lũ ở Nhật

(Kiến Thức) - Nhật Bản đã huy động trực thăng và hàng chục nghìn binh sĩ tham gia vào hoạt động giải cứu người dân mắc kẹt tại nhiều khu vực bị cô lập sau siêu bão Hagibis.

Ngoan muc canh giai cuu nguoi dan khoi vung lu o Nhat
Ngày 13/10, 27.000 thành viên của Lực lượng phòng vệ Nhật Bản cùng lực lượng cứu hộ, cảnh sát,... đã được triển khai để giải cứu những người bị mắc kẹt do lũ lụt sau siêu bão Hagibis. (Nguồn ảnh: Daily Mail) 

Ngoan muc canh giai cuu nguoi dan khoi vung lu o Nhat-Hinh-2
Trực thăng được sử dụng trong hoạt động cứu người dân mắc kẹt tại những căn nhà bị ngập lụt do nước sông Chikuma tràn bờ ở Nagano, miền trung Nhật Bản. 

Ngoan muc canh giai cuu nguoi dan khoi vung lu o Nhat-Hinh-3
 Daily Mail cho biết, đến nay đã có ít nhất 19 người thiệt mạng và 16 người khác mất tích sau khi bão Hagibis đổ bộ vào Nhật Bản. Ngoài ra, 7,3 triệu người được lệnh sơ tán.

Ngoan muc canh giai cuu nguoi dan khoi vung lu o Nhat-Hinh-4
 Khoảng 376.000 hộ gia đình bị cắt điện và 14.000 người không có nước sinh hoạt do ảnh hưởng của cơn bão mạnh nhất trong vòng 60 năm qua ở Nhật Bản.

Ngoan muc canh giai cuu nguoi dan khoi vung lu o Nhat-Hinh-5
Thủ tướng Nhật Bản Shinzo Abe đã triệu tập một cuộc họp khẩn cấp với các bộ trưởng liên quan và cử bộ trưởng phụ trách xử lý thảm họa đến các khu vực bị ảnh hưởng sau bão. Ông cũng gửi lời chia buồn tới các gia đình có nạn nhân thiệt mạng và cho biết chính phủ đang nỗ lực hết sức để khắc phục hậu quả do bão Hagibis gây ra. 

Ngoan muc canh giai cuu nguoi dan khoi vung lu o Nhat-Hinh-6
Lực lượng cứu hộ được cử tới một khu vực xảy ra sạt lở đất ở Nhật Bản sáng 13/10. 

Ngoan muc canh giai cuu nguoi dan khoi vung lu o Nhat-Hinh-7
 Mưa lũ đã làm đảo lộn cuộc sống của người dân đất nước mặt trời mọc.

Ngoan muc canh giai cuu nguoi dan khoi vung lu o Nhat-Hinh-8
 Cảnh tan hoang trên đường phố Ichihara, tỉnh Chiba.

Ngoan muc canh giai cuu nguoi dan khoi vung lu o Nhat-Hinh-9
Chính phủ Nhật Bản cho biết Hagibis có thể là cơn bão mạnh nhất kể từ năm 1958 tấn công Tokyo, mang theo lượng mưa kỷ lục trút xuống nhiều khu vực. 

Ngoan muc canh giai cuu nguoi dan khoi vung lu o Nhat-Hinh-10
Các binh sĩ được triển khai tới Motomiya, tỉnh Fukushima, để hỗ trợ người dân. 

Ngoan muc canh giai cuu nguoi dan khoi vung lu o Nhat-Hinh-11
 Đống đổ nát của một ngôi nhà bị sập ở Ichihara, Chiba.

Ngoan muc canh giai cuu nguoi dan khoi vung lu o Nhat-Hinh-12
Biển nước mênh mông tại một khu dân cư bị ảnh hưởng bởi bão Hagibis ở Nhật Bản.
Ngoan muc canh giai cuu nguoi dan khoi vung lu o Nhat-Hinh-13
 Tàu Shinkansen ngập trong biển nước tại một bãi đậu ở Nagano.

Mời độc giả xem thêm video: Siêu bão Hagibis đổ bộ vào Nhật Bản (Nguồn: The Guardian)

Ấn tượng phong cách thời trang của Hoàng thân Philip

(Kiến Thức) - Hoàng thân Philip, chồng của Nữ hoàng Anh Elizabeth II, được biết đến là người có phong cách thời trang ấn tượng.

An tuong phong cach thoi trang cua Hoang than Philip
 Theo Insider, Hoàng thân Philip là một biểu tượng thời trang phong cách toát lên vẻ lịch lãm và đẳng cấp mà vẫn tuân thủ quy tắc trang phục của Hoàng gia Anh. Ảnh chụp Hoàng thân Philip - Công tước xứ Edinburgh bên cạnh Nữ hoàng Elizabeth II trong ngày kỷ niệm đám cưới bạc của họ. (Nguồn ảnh: Insider)

An tuong phong cach thoi trang cua Hoang than Philip-Hinh-2
 Hoàng thân Philip chơi thể thao năm 1950 (ảnh trái) và 1947 (ảnh phải).

An tuong phong cach thoi trang cua Hoang than Philip-Hinh-3
 Công tước xứ Edinburgh tại giải Windsor Cup năm 1955.

An tuong phong cach thoi trang cua Hoang than Philip-Hinh-4
Ông cũng chú trọng đến trang phục thể thao đi biển. Ảnh chụp năm 1982. 

An tuong phong cach thoi trang cua Hoang than Philip-Hinh-5
 Hoàng thân Philip tại sự kiện Royal Windsor Horse Show năm 1974.

An tuong phong cach thoi trang cua Hoang than Philip-Hinh-6
Hoàng thân Philip đeo kính râm và đội mũ khi theo dõi sự kiện Royal Windsor Horse Show vào những năm 1990. 

An tuong phong cach thoi trang cua Hoang than Philip-Hinh-7
 Nữ hoàng Elizabeth II và Công tước xứ Edinburgh năm 1952. Hoàng thân Philip trông lịch lãm và tự tin.

An tuong phong cach thoi trang cua Hoang than Philip-Hinh-8
 Hoàng thân Philip thường mặc những bộ vest được may đo cẩn thận khi tham dự các sự kiện hoàng gia. Ảnh chụp Hoàng thân Philip và Nữ hoàng Elizabeth II tham dự đám cưới của Công chúa Eugenie năm 2018.

An tuong phong cach thoi trang cua Hoang than Philip-Hinh-9
Nữ hoàng Elizabeth II và Hoàng thân Philip trong chuyến thăm quần đảo Solomon năm 1982. 

An tuong phong cach thoi trang cua Hoang than Philip-Hinh-10
 Nữ hoàng Anh và Hoàng thân Philip rời khỏi một buổi lễ nhà thờ vào Ngày Giáng sinh năm 2017.

An tuong phong cach thoi trang cua Hoang than Philip-Hinh-11
 Bức ảnh chụp Hoàng thân Philip năm 1990.

Đọc nhiều nhất

Tin mới

Mỹ ra tối hậu thư cho Ukraine?

Mỹ ra tối hậu thư cho Ukraine?

Theo The Telegraph, Mỹ đã đưa ra tối hậu thư cho Ukraine về việc "chấp nhận hoặc từ chối" các điều khoản hòa bình do Washington đề xuất.