Loại rau cứu người với 5 công dụng “trời cho”, nếu gặp mua ngay

Trào lưu mới đang kéo con người trở về với tự nhiên, phòng chữa bệnh bằng cây cỏ. Vì thế, đừng bỏ qua loại rau có nhiều lợi ích sức khỏe này.

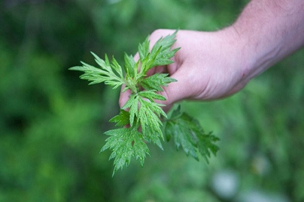
Đây không chỉ là cây rau mà còn là thuốc quý mang lại nhiều lợi ích sức khỏe, có tên khoa học là Artemisia Vulgaris, thường có mùi thơm nồng và có vị hơi đắng hoặc rất đắng tùy theo mùa. Ngải cứu có thể dùng để chế biến các món ăn hoặc được sao khô lên làm thuốc.
Theo Đông y, rau ngải cứu có tính vị quy kinh, có mùi thơm, vị đắng, tính ấm đi vào cả 3 kinh là: can, tỳ, phế có tác dụng điều hòa khí huyết, khu phong, trừ thống, cầm máu và giảm đau. Chính vì vậy mà ngải cứu có tác dụng chữa được rất nhiều bệnh.
Rau ngải cứu là một loài cây dùng để chế biến nhiều món ăn quen thuộc. Trong Đông y, ngải cứu có tính ôn, vị cay, là loại cây dược liệu rất tốt với sức khỏe, hỗ trợ điều trị bệnh cảm cúm, rối loạn kinh huyệt, lưu thông máu lên não và nhiều công dụng khác.
Loai rau cuu nguoi voi 5 cong dung “troi cho”, neu gap mua ngay
1. Rau ngải cứu cải thiện hệ tiêu hóa
Các nhà khoa học đã tìm thấy trong rau ngải cứu có chứa glucoside có tính axit, hỗ trợ đào thải các chất độc có trong gan và túi mật. Vì vậy, cây ngải cứu có công dụng điều trị bệnh vàng da do suy gan và các rối loạn ở túi mật gây ra.
Ngoài ra, rau ngải cứu còn hỗ trợ quá trình tiêu hóa bằng cách tăng nồng độ axit dạ dày, giảm đau bụng, đầy hơi, tăng cường sự thèm ăn.
Loai rau cuu nguoi voi 5 cong dung “troi cho”, neu gap mua ngay-Hinh-2
Trứng gà ngải cứu rất tốt trong việc cải thiện các vấn đề về tiêu hoá.
Cách làm:
1 mớ ngải cứu nhặt, rửa sạch, thái nhỏ trộn với 2-3 quả trứng gà ta tạo hỗn hợp sệt. Nêm thêm chút muối cho vừa vị. Dùng lá chuối bọc hỗn hợp trên lại đem nướng bằng chảo cho đến khi dậy mùi thơm và trứng chín hẳn. Dùng nóng.
Nếu không có lá chuối bọc nướng có thể dùng chảo chống dính và áp chảo. Lưu ý không nên chiên dầu vì sẽ dễ gây khó chịu đau bụng ở người có vấn đề tiêu hoá.
2. Trị đau bụng kinh bằng nắm lá ngải cứu
Ngải cứu có tính ấm, tác dụng điều hòa khí huyết và trị chứng kinh nguyệt không đều, kinh kéo dài, thống kinh.
Tác dụng của rau ngải cứu giảm các cơn đau gây nên cơn đau bụng khi hành kinh do: Khí huyết ứ trệ, máu không lưu thông gây chèn ép lên các bộ phận khác trong cơ thể dẫn đến những cơn đau bụng khó chịu diễn ra trước, trong và sau kinh nguyệt. Tác dụng lưu thông khí huyết của ngải cứu giúp kinh nguyệt ổn định.
Loai rau cuu nguoi voi 5 cong dung “troi cho”, neu gap mua ngay-Hinh-3
Ngải cứu rang muối nóng đem chườm.
Cách làm:
Cách 1: Muối đem rang nóng, thêm rượu, 1 củ gừng đập dập. Tắt lửa ngay và thêm nắm lá ngải cứu nhanh tay đảo đều. Bọc hỗn hợp trong miếng vải dày và chườm trực tiếp vào vùng bụng dưới.
Lưu ý, không nên cho lá ngải sớm, tinh dầu sẽ bị bay mất. Chườm hỗn hợp này rất nóng, nên dùng nhiều lớp khăn. Khi nhiệt độ hỗn hợp hạ dần thì bỏ bớt các lớp khăn ra để đảm bảo người dùng không bị phỏng.
Cách 2: Ăn lá ngải cứu xào với trứng gà. 1 mớ ngải cứu đem xào với 2-3 quả trứng gà và ăn nóng. Người bị đau bụng kinh kèm buồn nôn thì không nên dùng cách này.
3. Ăn rau ngải cứu trị đau đầu
Ngải cứu trị đau đầu rất tốt. Nhờ vào lượng tinh dầu trong lá ngải cứu và tính ấm nên lá ngải cứu có công dụng tuyệt vời trong trị đau đầu, nhức đầu mệt mỏi.
Loai rau cuu nguoi voi 5 cong dung “troi cho”, neu gap mua ngay-Hinh-4
Gà tần ngải cứu rất ngon và bổ dưỡng.
Cách làm:
Lấy 300gram lá ngải cứu, 100gram lá khuynh diệp, 100gram lá bưởi nấu lên với 2 lít nước, cho sôi khoảng 20 phút thì đem xông trong 15 phút. Ăn ngải cứu hầm gà hoặc ngải cứu xào trứng cũng giúp đẩy lùi cơn đau đầu, làm ấm người hiệu quả.
4. Trị mỏi khớp, viêm khớp
Theo Đông y, cây lá ngải chứa nhiều tinh dầu và các chất kháng khuẩn tự nhiên có tác dụng chống viêm, giảm đau hiệu quả. Ngải cứu còn chứa rất nhiều cineol, chất kháng khuẩn tự nhiên và thuyon, dehydro matricaria este, tetradecatrilin, tricosanol… giúp làm giảm các cơn đau thần kinh.
Theo y học hiện đại, ngải cứu chứa nhiều chất tamin có tác dụng giảm đau, giãn cơ, tăng cường sự đàn hồi của dây chằng giúp khớp xương vận động linh hoạt.
Loai rau cuu nguoi voi 5 cong dung “troi cho”, neu gap mua ngay-Hinh-5
Cách làm:
Như cách trị đau bụng kinh, dùng hỗn hợp ngải cứu - gừng - rượu đặt lên các vùng bị đau sẽ cho hiệu quả giảm đau, giảm viêm rất nhanh. Một cách khác, bạn có thể dùng ngải cứu đã đảo qua rượu đắp lên phần tổn thương.
5. Điều trị cảm cúm
Theo Đông y, ngải cứu có tính hàn, vị cay, đặc tính có lợi cho việc tăng cường hệ miễn dịch. Ăn ngải cứu giúp bạn loại bỏ các độc tố trong cơ thể, chống sốt và nhiễm trùng.
Ngoài ra, ngải cứu kết hợp với bạc hà có thể điều trị cúm, sốt và ngộ độc thực phẩm. Các đặc tính khử trùng của ngải cứu giúp tiêu diệt virus và vi khuẩn trong dạ dày.
Tuy nhiên, vì dược tính cao nên ngải cứu cũng có nhiều tác dụng phụ. Với một số người nếu dùng ngải cứu quá nhiều có thể gây ra ngộ độc, thần kinh trung ương bị hưng phấn quá mức dẫn tới chân tay run giật cục bộ hoặc co giật. Sau vài lần có thể dẫn đến co cứng, nói xàm, thậm chí tê liệt, có tổn thương ở tế bào não… và di chứng để lại là hay quên, ảo giác, viêm thần kinh…
Loai rau cuu nguoi voi 5 cong dung “troi cho”, neu gap mua ngay-Hinh-6
Để phát huy công dụng và tránh tác dụng phụ của ngải cứu, theo các chuyên gia, người bình thường chỉ nên ăn ngải cứu từ 1-2 lần/tuần. Đối với người không có bệnh, không nên sử dụng nước sắc ngải cứu, như một thứ nước uống thường xuyên giống như nước trà.
Nếu sắc ngải cứu để uống thay nước chỉ nên sử dụng khoảng 3-5g khô (9-15g tươi)/lần và sử dụng theo từng đợt. Khi khỏi bệnh thì nên nghỉ, tránh sử dụng liên tục trong thời gian dài.
Những người có dấu hiệu sau đây được khuyên không nên dùng ngải cứu:
Không tốt cho người bị viêm gan
Tinh dầu trong ngải cứu là thành phần có tác dụng chữa bệnh, nhưng cũng là một thành phần có độc tính. Nếu người bị viêm gan ăn ngải cứu, khi đó dược chất đi vào gan sẽ gây ra rối loạn chuyển hóa của tế bào gan, dẫn tới viêm gan cấp tính do trúng độc và viêm gan vàng da, khiến cho gan to, nước tiểu đục, nước tiểu có lẫn dịch mật (chứng bệnh biliuria). Do đó người bị viêm gan nên tránh xa món này.
Không ăn trong 3 tháng đầu thai kỳ
Theo các chuyên gia, phụ nữ mang thai thời kỳ 3 tháng đầu không nên dùng bất kỳ dược liệu nào, đặc biệt là ngải cứu. Tuy nhiên với một số trường hợp bị động thai có dấu hiệu ra máu, bạn có thể dùng ngải cứu bằng cách sao cháy, sau đó vẩy một chút nước vào cho hết hỏa độc và sắc lên uống. Tuy nhiên, cũng cần phải thận trọng khi uống, tốt nhất đi khám bác sĩ chuyên khoa để được điều trị đúng và kịp thời.
Người bị rối loạn đường ruột cấp tính
Một trong những tác dụng nổi bật của ngải cứu đó là giúp cơ thể tăng việc đi tiểu, vì thể nó được xem là một vị thuốc nhuận tràng hiệu nghiệm. Thế nhưng, chính do tác dụng này mà những người bị rối loạn đường ruột cấp tính cần phải tránh xa ngải cứu, nếu không bệnh tình sẽ khó kiểm soát và ngày một trầm trọng hơn.

19 cách đốt cháy calo đơn giản mà không cần tới phòng tập

Bạn không có thời gian tập thể dục? Bạn không ưa thích thể thao, nhưng lại muốn đốt cháy calo mà không phải rời khỏi giường sớm mỗi ngày.

Để đốt cháy calo, bạn không bắt buộc phải tới phòng tập hay chạy bộ hàng giờ mỗi ngày. Điều quan trọng là bạn không được ngồi một chỗ, phải đi lại thường xuyên, đứng dậy, đi bộ hay nói cách khác bạn phải vận động. Thời gian cần để đốt cháy 200 calo mỗi ngày được nêu trong bài viết có thể thay đổi phụ thuộc vào thể trọng và cơ thể bạn

Đi dạo với “thú cưng”

Đi dạo một tiếng mỗi ngày với chú chó cưng có nghĩa là bạn đã đi bộ, đã chạy và đốt cháy 200 calo mà không hề cảm thấy mất sức như tập thể thao. Với mọi sự chú ý dồn lên chú chó đáng yêu của mình, bạn sẽ không còn nghĩ tới quãng đường dài hàng kilometer hay con đường dốc mà bạn đang leo.

Ảnh minh họa.

Đọc, viết và suy nghĩ

Nghiên cứu tài liệu, viết thư tay, soạn email gửi cho bạn bè hay đơn giản là đọc một bài viết hay cũng kích hoạt bộ não của bạn. Và khi đó bộ não sẽ cần glucose (đường) để hoạt động. Để việc đốt cháy calo trở nên hiệu quả hơn, thì cho dù bạn đang ngồi trước một cuốn sách hay, ở bàn làm việc hay trước máy tính, cũng hãy luôn nhớ ngồi thẳng lưng và đúng tư thế.

Thời gian cần để đốt cháy 200 calo: 4 giờ

Đi cầu thang bộ

Chỉ cần có thể, thì bạn hãy quên đi những chiếc thang máy và tận dụng những chiếc cầu thang bộ. Hoạt động này là một phương pháp vận động tuyệt vời để đốt cháy calo mà lại không hề tốn kém. Tuy nhiên bạn cũng cần phải chú ý đến việc điều chỉnh hơi thở, duy trì tốc độ hợp lý và quan trọng là không được dừng lại.

Đối với những chiếc thang cuốn, thì kỹ thuật cũng tương tự. Bạn nên leo lên từng bậc thang thay vì đứng yên một chỗ.

Thời gian cần thiết để đốt cháy 200 calories: khoảng 20 phút

Nhảy

Đây là một hoạt động vừa thú vị, lại rất lý tưởng để bạn có thể xả hơi sau một ngày làm việc căng thẳng mà vẫn có thể đốt cháy calo hiệu quả. Đối xử tốt với bản thân, thì bạn sẽ cảm thấy vui vẻ mà không phải suy nghĩ quá nhiều về việc mình có nhảy đẹp hay không.

Tuy nhiên nếu tham gia câu lạc bộ hay tụ họp nhà bạn bè, thì điều quan trọng là phải tránh đồ uống có cồn. Bởi nếu không mọi nỗ lực của bạn sẽ trở nên vô nghĩa.

Thời gian cần để đốt cháy khoảng 200 calo: 1 giờ

Rửa bát đĩa

Rất ít người thích rửa bát đĩa, song hoạt động này lại giúp bạn đốt cháy calo. Vì thế, hãy làm công việc này với một tâm lý thoải mái nhất và nên chú ý thắt chặt cơ bụng, thẳng lưng và có thể vừa rửa bát vừa hát một đoạn nhạc mà bạn yêu thích,… Điều này sẽ khiến công việc này trở nên dễ chịu và nhanh hơn.

Nếu bồn rửa quá thấp, bạn chú ý đừng nghiêng về phía trước, thay vào đó hãy hơi khụy chân xuống để có chiều cao phù hợp.

Thời giam để đốt cháy khoảng 200 calo: 1h20

Quan hệ tình dục

Điều này không có gì mới: quan hệ tình dục vẫn được so sánh với các môn thể thao thực sự. Với sự gia tăng nhịp tim và những động tác khác nhau được thực hiện, tất cả các cơ trong cơ thể của bạn đều được huy động.

Lượng calo mà bạn đốt cháy được sẽ phụ thuộc vào cường độ và thời gian hoạt động này. Tuy nhiên, thời gian trung bình để đốt cháy 200 calo là khoảng 30 phút.

Chuẩn bị bữa ăn

Bạn thích nấu ăn? Vậy bạn cũng nên biết rằng công việc nội trợ này rất hữu ích cho việc giảm cân. Chuẩn bị bữa ăn, rửa thực phẩm, cắt, gọt hay đơn giản chỉ là nên nếm gia vị, tất cả đều hữu ích cho cơ thể của bạn. Tuy nhiên, bạn cũng nên chú ý không chuẩn bị những món ăn quá nhiều chất béo hoặc calo cao. Bởi như vậy mọi nỗ lực của bạn sẽ trở nên vô nghĩa.

Thời gian cần thiết để đốt cháy 200 calo: 1h20

Đạp xe

Đối với việc di chuyển ở những quãng đường ngắn hay đơn giản là ra ngoài để hít thở bầu không khí trong lành, thì bạn hãy nghĩ tới việc sử dụng xe đạp. Hoạt động này rất tốt cho sức khỏe, không chỉ giúp đốt cháy mỡ thừa mà còn thân thiện môi trường. Tuy nhiên bạn cũng nên nhớ bổ sung nước thường xuyên đối với những chuyến đi dài nhé.

Thời gian cần thiết để đốt cháy 200 calo: 45 phút.

Là quần áo

Đây là một hoạt động gia đình nữa dễ dàng giúp bạn đốt cháy calo mà không phải đến phòng tập. Để đốt cháy được càng nhiều calo càng tốt, thì bạn nên di chuyển thường xuyên quanh bàn là, giữ thẳng lưng, cố gắng đổi tay nếu bạn có thể.

Thời gian cần để đốt cháy khoảng 200 calo: 1h30

Chơi đùa với trẻ nhỏ

Chơi đùa với trẻ nhỏ không chỉ giúp bạn thư giãn, mà còn giúp bạn giảm calo. Dù là trong nhà hay ngoài trời, thì bạn cũng hãy cố gắng hòa mình với trẻ chạy, nhảy, đùa nghịch cùng với chúng. Bởi như vậy cũng có nghĩa là bạn đang tập thể dục mà không hề cảm thấy mệt mỏi.

Thời gian cần để đốt cháy 200 calo: 1 giờ

Làm vườn và cắt cỏ

Yêu thiên nhiên và không gian xanh, niềm đam mê này cũng có thể giúp bạn duy trì hoặc lấy lại vóc dáng. Các hoạt động ngoài trời như làm vườn hoặc bảo trì bãi cỏ đều có thể coi như những hoạt động thể chất. Nếu được thực hiện thường xuyên và điều độ, chúng rất tốt cho tinh thần và kích thích các chức năng hô hấp và tim mạch.

Tuy nhiên, cũng giống như những hoạt động khác, bạn phải luôn chú ý đến phần lưng và quan trọng là bảo vệ minh trước thời tiết xấu hay ánh năng mặt trời có hại.

Thời gian cần thiết để đốt cháy 200 calo: 1 giờ

Chơi nhạc cụ

Piano, violon, saxophone,…, bất kỳ loại nhạc cụ nào cũng giúp bạn tiêu hao năng lượng, với cường độ giống như khi bạn dành thời gian suy nghĩ hoặc nghiên cứu tài liệu. Có thể bạn sẽ cảm thấy mất thời giờ để đốt cháy 200 calo, nhưng hoạt động này rất có lợi cho kỹ năng vận động và phối hợp của bạn.

Thời gian cần để đốt cháy khoảng 200 calo: 4 giờ

Đi mua sắm

Đi bộ tại các khu chợ hay trung tâm mua sắm, cầm túi xách, phải suy nghĩ làm sao để có được chiếc túi hay bộ đầm ưa thích có nguy cơ bị người khác mua mất, đây là cách đốt cháy calo rất thú vị, đặc biệt là đối với các chị em. Bạn cũng cần chú ý tới sự cân bằng trọng lượng của những chiếc túi đựng đồ ở cả hai bên tay nhé để tránh làm tổn thương tới lưng.

Thời gian cần để đốt cháy 200 calo: 1 giờ

Sắp xếp, dọn dẹp nhà cửa

Bạn muốn thay đổi trang trí trong nhà, muốn di chuyển đồ đạc? Việc làm này ngoài tác dụng tốt cho tinh thần, mà còn tốt cho các cơ bắp cánh tay và cả phần thân dưới của bạn.

Tuy nhiên, hãy cẩn thận với những vật nặng để không gây tổn thương phần lưng của bạn.

Thời gian cần để đốt cháy 200 calo: 30 phút

Đưa bé đi dạo bằng nôi hoặc xe đẩy

Đối với các bà mẹ mới sinh, việc tập luyện thể thao là không hề dễ dàng và thậm chí một số còn bị cấm. Tuy nhiên, chỉ đơn giản với việc đưa bé yếu đi dạo bằng nôi hay xe đẩy cũng cho phép bạn đốt cháy calo. Với hoạt động này, bạn không chỉ huy động phần cơ bắp của cánh tay, mà còn cả chân và mông. Bạn có thể điều chỉnh độ khó của bàn tập theo nhu cầu và thể chất của mình với việc đi qua những quãng đường dốc.

Thời gian để đốt cháy khoảng 200 calo: 1 giờ

Lau chùi cửa sổ

Với công việc này, bạn hãy tích cực lên nhé. Nếu bạn cảm thấy các cơ trên tay mình nóng lên, thì đây là một dấu hiệu rất tốt. Bạn đang làm cho các cơ bắp của mình trở nên săn chắc hơn chỉ với công việc nhà này. Cố gắng đổi tay để không làm căng cơ ở một bên cánh tay.

Thời gian cần để đốt cháy khoảng 200 calo: 1 giờ

Trượt tuyết

Trong mùa đông, trượt tuyết có thể giúp bạn giải đốt cháy calo. Thời tiết lạnh, kèm theo việc phải đi lên dốc trong khi kéo chiếc xe trượt tuyết giúp bạn giảm một lượng calo đáng kể mà không nhận ra. Hoạt động này vừa tốt cho tinh thần, lại tốt cho vóc dáng của bạn.

Thời gian để đốt cháy khoảng 200 calo: 30 phút.

Cây ngải cứu: Tác dụng thần kỳ chữa bệnh trong dân gian

Ngải cứu là loài cây thông dụng trong đời sống hàng ngày. Nhiều người hay sử dụng trong các món ăn, là gia vị thêm phần hấp dẫn. Trong Đông y, loại cây này cũng được sử dụng như một loại dược liệu. Công dụng chữa bệnh của cây đã được y học khẳng định.

Cây ngải cứu là gì?

Thói quen hại vòng 1 nhiều người đang mắc phải

Nhiều thói quen hại vòng 1 nghiêm trọng chị em cần chú ý thay đổi ngay.

Mặc áo ngực quá chặt để nâng ngực
Thoi quen hai vong 1 nhieu nguoi dang mac phai
 

Đọc nhiều nhất

Tin mới

Mẹo tăng sức đề kháng trong mùa đông

Mẹo tăng sức đề kháng trong mùa đông

Để tăng cường sức đề kháng trong mùa đông, cần chế độ dinh dưỡng giàu vitamin, uống đủ nước ấm, tập thể dục đều đặn, giữ ấm cơ thể, ngủ đủ giấc...