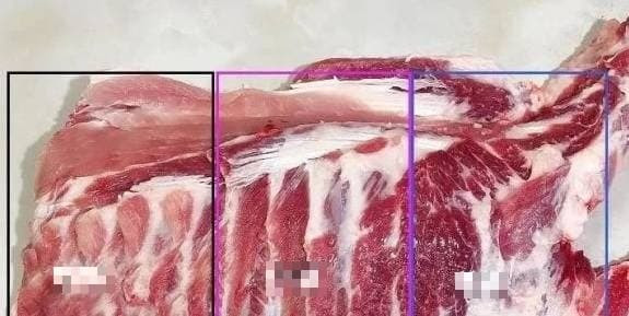
Mua sườn lợn, chọn "hàng trước", "hàng giữa" hay "hàng sau"?

Sườn lợn là một trong những phần ngon nhất trên con lợn, tuy nhiên giữa các phần sườn vẫn có sự khác nhau. Biết cách chọn phần sườn ngon sẽ giúp món ăn đạt điểm tối đa.

Sườn lợn mặc dù không có nhiều thịt nhưng nó có hương vị thơm ngon và dinh dưỡng cao. Khi mua sườn mọi người thường chỉ chú ý tới sự tươi ngon chứ không biết rằng sườn lợn cũng được phân chia thành phần trước, giữa và sau.

Mua suon lon, chon

Có rất nhiều cách để chế biến sườn lợn, có thể dùng để hầm canh, kho, sốt… và mỗi món ăn nên sử dụng loại sườn khác nhau, nếu không hương vị sẽ không ngon. Vậy sự khác biệt giữa các loại sườn này như thế nào, dưới đây là những thông tin rất hữu ích để chúng ta có thể lựa chọn được loại sườn ngon, phù hợp với nhu cầu của mình.

Sườn ở hàng trước

Mua suon lon, chon

Ở hàng trước, lớp sụn trải dài các rẻ xương thường to và cứng. Những người có sở thích ăn xương sụn nên chọn chúng để chế biến món ăn.

Một đặc điểm khác của xương sườn hàng trước là phần thịt bao quanh khá mềm và đàn hồi. Có phần thịt ngon song lớp thịt lại rất ít và mỏng. Sườn hàng trước có lượng tủy tương đối thấp. Vì vậy, sườn lợn trước không nên nấu canh. Thay vào đó, nó sẽ là nguyên liệu lý tưởng cho món kho, rang, muối tiêu, sườn xào chua ngọt.

Sườn ở hàng giữa

Mua suon lon, chon

Sườn ở hàng giữa có xương dẹt, dài; đặc biệt là rất nhiều thịt, đầy đặn, dàn đều. Đây là phần sườn ngon nhất trong các loại, nấu xong thịt rất mềm, vị ngọt. Ngay cả gân trên sườn này cũng là phần ngon nhất. Chính vì thế, giá sườn ở hàng giữa luôn đắt hơn. Sườn hàng giữa sẽ rất ngon khi nấu sườn chua ngọt, sườn kho, hầm…

Sườn ở hàng sau

Mua suon lon, chon

Thịt tuy không nhiều nhưng mùi vị rất đặc biệt, đậm đà, có nhiều tủy xương hơn nên rất phù hợp khi nấu các món hầm. Nước hầm từ phần sườn lợn ở hàng sau đặc biệt đậm đà và có giá trị dinh dưỡng cao hơn.

Trên đây là sự khác biệt giữa sườn lợn hàng trước, hàng giữa và hàng sau. Bạn nên chọn các loại sườn khác nhau cho các cách ăn khác nhau, nếu không bạn sẽ tốn rất nhiều tiền mà mua phải loại sườn không phù hợp với mình!

Kinh ngạc lý do treo khăn ẩm lên tay nắm cửa nhà nghỉ

Ngoài mục đích tăng độ ẩm không khí, treo khăn ẩm lên tay nắm cửa nhà nghỉ còn có ý nghĩa trong nỗ lực thoát hiểm khi hỏa hoạn xảy ra.

Nhà nghỉ, khách sạn là địa điểm lưu trú không thể thiếu khi đi du lịch, công tác xa. Khi nhận phòng, lễ tân sẽ nhắc nhở khách kiểm tra vấn đề vệ sinh, tài sản trang bị trong phòng. Đôi khi, khách sẽ được dặn dò nên treo khăn ẩm lên tay nắm cửa nhà nghỉ.
Mục đích chính của việc treo khăn ẩm lên tay nắm cửa nhà nghỉ là đảm bảo an toàn của khách khi hỏa hoạn xảy ra. Thật vậy, mối đe dọa lớn nhất với khách sạn, nhà nghỉ là hỏa hoạn bởi đây là nơi nhiều người ở, rất dễ xảy ra sự cố cháy nổ.

4 loại nước uống vào sáng sớm gây hại cho sức khỏe

Dưới đây là 4 loại nước uống vào sáng sớm gây hại cho sức khỏe, chị em nên tránh xa.

Vào buổi sáng, cơ thể cần cung cấp đủ nước để “đánh thức” các cơ quan tỉnh dậy, đồng thời bổ sung lượng nước đã mất sau giấc ngủ dài 7 – 8 tiếng. Tuy nhiên không phải bổ sung loại nước nào cũng tốt cho cơ thể. Dưới đây là 4 loại nước uống vào sáng sớm không tốt cho sức khỏe.

Nước trà để qua đêm

Mua sườn tránh 3 loại này, được cho cũng đừng lấy

Gặp phải ba loại sườn lợn này thì nhất định không được mua, dù được cho cũng không nên lấy vì đó là những loại sườn lợn chất lượng kém.

Sườn lợn là phần thịt được ưa chuộng trong cả 4 mùa xuân, hạ, thu, đông, có thể chế biến thành rất nhiều món. Thế nhưng, sườn ngoài chợ mua thì có loại ngon, loại dở.
Hôm nay mách bạn, gặp phải ba loại sườn lợn này thì nhất định không được mua, dù được cho cũng không nên lấy vì đó là những loại sườn lợn chất lượng kém.

Đọc nhiều nhất

Tin mới