Từ cơn bão số 4, điểm lại những “siêu bão” càn quét Việt Nam

Từ cơn bão số 4, điểm lại những “siêu bão” càn quét Việt Nam

Cơn bão số 4 hay còn gọi là bão Noru, một trong những cơn bão mạnh đã quét qua miền Trung Việt Nam. Trước bão Noru, Việt Nam đã phải chống chịu với rất nhiều bão lớn.

Ban chỉ đạo tiền phương ứng phó với bão số 4 cho biết, bước đầu xác định có 4 người bị thương tại Quảng Trị do bão số 4. Trong bão có 3 nhà dân bị sập (Quảng Trị có 2 nhà, thừa thiên Huế có 1 nhà). Bão cũng làm hư hỏng, tốc mái 157 nhà, trong đó nhiều nhất ở Quảng Trị với 118 nhà. Có 3 ghe nhỏ của người dân bị chìm (Đà Nẵng có 2 chiếc; Quảng Nam có 1 chiếc).
Ban chỉ đạo tiền phương ứng phó với bão số 4 cho biết, bước đầu xác định có 4 người bị thương tại Quảng Trị do bão số 4. Trong bão có 3 nhà dân bị sập (Quảng Trị có 2 nhà, thừa thiên Huế có 1 nhà). Bão cũng làm hư hỏng, tốc mái 157 nhà, trong đó nhiều nhất ở Quảng Trị với 118 nhà. Có 3 ghe nhỏ của người dân bị chìm (Đà Nẵng có 2 chiếc; Quảng Nam có 1 chiếc).
Có 9.427 trạm biến áp bị sự cố mất điện. Trong đó, Quảng Nam có 4.369 trạm, Đà Nẵng có 3.340 trạm, Quảng Ngãi có 1.718 trạm. Hiện lực lượng chức năng đã khắc phục được 535 trạm biến áp (Quảng Nam là 372 trạm, Đà Nẵng là 163 trạm). Bão số 4 cũng đã làm gãy đổ khoảng trên 500 cây xanh tại địa bàn các tỉnh Quảng Trị, Đà Nẵng, Quảng Ngãi, Gia Lai.
Có 9.427 trạm biến áp bị sự cố mất điện. Trong đó, Quảng Nam có 4.369 trạm, Đà Nẵng có 3.340 trạm, Quảng Ngãi có 1.718 trạm. Hiện lực lượng chức năng đã khắc phục được 535 trạm biến áp (Quảng Nam là 372 trạm, Đà Nẵng là 163 trạm). Bão số 4 cũng đã làm gãy đổ khoảng trên 500 cây xanh tại địa bàn các tỉnh Quảng Trị, Đà Nẵng, Quảng Ngãi, Gia Lai.
Tháng 10/2020, bão số 9 (bão Molave) đổ bộ vào miền trung Việt Nam, tâm bão đi qua TP Quảng Ngãi với sức gió giật cấp 15 lên tới 176km/h. Bão số 9 làm 80 người chết và mất tích, thiệt hại kinh tế khoảng 10.000 tỷ đồng.
Tháng 10/2020, bão số 9 (bão Molave) đổ bộ vào miền trung Việt Nam, tâm bão đi qua TP Quảng Ngãi với sức gió giật cấp 15 lên tới 176km/h. Bão số 9 làm 80 người chết và mất tích, thiệt hại kinh tế khoảng 10.000 tỷ đồng.
Đầu tháng 11/2017, bão số 12 (bão Damrey) đổ bộ vào miền Trung Việt Nam và một phần phía nam Tây Nguyên, tâm bão là tỉnh Khánh Hòa, Phú Yên. Sức gió cấp 11-12 giật cấp 12-14 lên tới 160km/h. Bão số 12 làm 107 người chết, 16 người mất tích, 342 người bị thương, thiệt hại kinh tế khoảng 22.000 tỷ đồng.
Đầu tháng 11/2017, bão số 12 (bão Damrey) đổ bộ vào miền Trung Việt Nam và một phần phía nam Tây Nguyên, tâm bão là tỉnh Khánh Hòa, Phú Yên. Sức gió cấp 11-12 giật cấp 12-14 lên tới 160km/h. Bão số 12 làm 107 người chết, 16 người mất tích, 342 người bị thương, thiệt hại kinh tế khoảng 22.000 tỷ đồng.
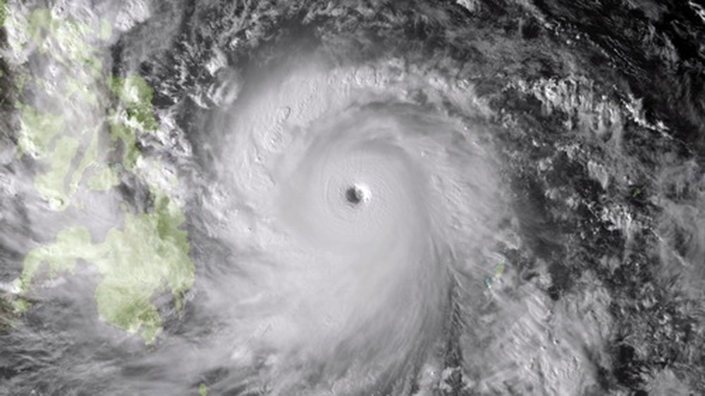
Tháng 11/2013, Bão số 14 (bão Hải Yến - Haiyan) đổ bộ vùng biển tỉnh Thanh Hóa, Nam Định, Thái Bình, tâm bão là Hải Phòng, Quảng Ninh, sức gió giật cấp 17 lên tới trên 280km/h, làm 18 người chết, 2 người mất tích, 93 người bị thương, thiệt hại kinh tế khoảng 3.600 tỷ đồng. (Hình ảnh siêu bão Hải Yến chụp từ vệ tinh vào hôm 7/11/2013 của Cơ quan Khí tượng Nhật Bản cung cấp).
Tháng 11/2013, Bão số 14 (bão Hải Yến - Haiyan) đổ bộ vùng biển tỉnh Thanh Hóa, Nam Định, Thái Bình, tâm bão là Hải Phòng, Quảng Ninh, sức gió giật cấp 17 lên tới trên 280km/h, làm 18 người chết, 2 người mất tích, 93 người bị thương, thiệt hại kinh tế khoảng 3.600 tỷ đồng. (Hình ảnh siêu bão Hải Yến chụp từ vệ tinh vào hôm 7/11/2013 của Cơ quan Khí tượng Nhật Bản cung cấp).
Cuối tháng 10/2012, Bão số 8 (Bão Sơn Tinh) đổ bộ các tỉnh ven biển Đồng bằng sông Hồng, tâm bão là các tỉnh Ninh Bình, Nam Định, Thái Bình, sức gió lên tới cấp 13, mạnh cấp 11-12, giật cấp 14 đạt 150-160km/h, làm 8 người chết, 2 người mất tích, 90 người bị thương, thiệt hại kinh tế khoảng 7.500 tỷ đồng.
Cuối tháng 10/2012, Bão số 8 (Bão Sơn Tinh) đổ bộ các tỉnh ven biển Đồng bằng sông Hồng, tâm bão là các tỉnh Ninh Bình, Nam Định, Thái Bình, sức gió lên tới cấp 13, mạnh cấp 11-12, giật cấp 14 đạt 150-160km/h, làm 8 người chết, 2 người mất tích, 90 người bị thương, thiệt hại kinh tế khoảng 7.500 tỷ đồng.
Tháng 10/2009, Bão số 9 (Bão Ketsana) đổ bộ vào các tỉnh Nam Trung bộ, tâm bão là các tỉnh Quảng Nam, Quảng Ngãi. Sức gió mạnh cấp 11 giật cấp 14 lên tới 150km/h tại đảo Lý Sơn; 22m/giây (cấp 9) giật 30m/giây (cấp 11) tại Đà Nẵng làm 179 người chết, bị thương 1.140 người, mất tích 8 người, thiệt hại kinh tế khoảng 14.014 tỷ đồng. (Ảnh minh hoạ)
Tháng 10/2009, Bão số 9 (Bão Ketsana) đổ bộ vào các tỉnh Nam Trung bộ, tâm bão là các tỉnh Quảng Nam, Quảng Ngãi. Sức gió mạnh cấp 11 giật cấp 14 lên tới 150km/h tại đảo Lý Sơn; 22m/giây (cấp 9) giật 30m/giây (cấp 11) tại Đà Nẵng làm 179 người chết, bị thương 1.140 người, mất tích 8 người, thiệt hại kinh tế khoảng 14.014 tỷ đồng. (Ảnh minh hoạ)
Cuối tháng 11/2006, bão số 9 (Bão Durian) đổ bộ vào các tỉnh Bình Thuận, Bà Rịa - Vũng Tàu, Bến Tre, Sóc Trăng, Bạc Liêu và Trà Vinh, sức gió mạnh nhất trên cấp 14 lên tới 250km/h, làm 98 người chết, 1.770 người bị thương, thiệt hại kinh tế khoảng 5.200 tỷ đồng.
Cuối tháng 11/2006, bão số 9 (Bão Durian) đổ bộ vào các tỉnh Bình Thuận, Bà Rịa - Vũng Tàu, Bến Tre, Sóc Trăng, Bạc Liêu và Trà Vinh, sức gió mạnh nhất trên cấp 14 lên tới 250km/h, làm 98 người chết, 1.770 người bị thương, thiệt hại kinh tế khoảng 5.200 tỷ đồng.
Tháng 9/2006, Bão số 6 (Bão Xangsane) đổ bộ vào các tỉnh miền Trung, tâm bão là Đà Nẵng, Quảng Nam, sức gió mạnh nhất 38m/giây (cấp 13) giật 44m/giây cấp 14 lên tới 160km/h, làm 72 người chết, bị thương 532 người và mất tích 4 người, thiệt hại về kinh tế khoảng 10.150 tỷ đồng. (Ảnh minh hoạ)
Tháng 9/2006, Bão số 6 (Bão Xangsane) đổ bộ vào các tỉnh miền Trung, tâm bão là Đà Nẵng, Quảng Nam, sức gió mạnh nhất 38m/giây (cấp 13) giật 44m/giây cấp 14 lên tới 160km/h, làm 72 người chết, bị thương 532 người và mất tích 4 người, thiệt hại về kinh tế khoảng 10.150 tỷ đồng. (Ảnh minh hoạ)
Cuối tháng 5/2006, Bão số 1 (Bão Chanchu) không ảnh hưởng đến vùng biển Việt Nam nhưng gây hậu quả vô cùng nghiêm trọng cho ngư dân. Sức gió giật cấp 15 lên tới 170 km/h, mất tích gần 250 người với 14 tàu bị chìm, 4 tàu mất tích, 600 người sống sót nhờ chiến dịch cứu hộ lớn nhất thời điểm đó với sự hợp tác của nhiều nước trên thế giới.
Cuối tháng 5/2006, Bão số 1 (Bão Chanchu) không ảnh hưởng đến vùng biển Việt Nam nhưng gây hậu quả vô cùng nghiêm trọng cho ngư dân. Sức gió giật cấp 15 lên tới 170 km/h, mất tích gần 250 người với 14 tàu bị chìm, 4 tàu mất tích, 600 người sống sót nhờ chiến dịch cứu hộ lớn nhất thời điểm đó với sự hợp tác của nhiều nước trên thế giới.
Đầu tháng 11/1997, Bão số 5 (Bão nhiệt đới Linda) đổ bộ bào các tỉnh miền Tây Nam bộ, tâm bão là các tỉnh Bạc Liêu, Cà Mau, sức gió giật cấp 10 lên tới 100 km/h, làm 3.111 người chết, thiệt hại kinh tế khoảng 8.500 tỷ đồng.
Đầu tháng 11/1997, Bão số 5 (Bão nhiệt đới Linda) đổ bộ bào các tỉnh miền Tây Nam bộ, tâm bão là các tỉnh Bạc Liêu, Cà Mau, sức gió giật cấp 10 lên tới 100 km/h, làm 3.111 người chết, thiệt hại kinh tế khoảng 8.500 tỷ đồng.
>>> Xem thêm video: Quỹ đạo và cường độ bão Conson rất phức tạp, khó lường. Nguồn: VTV 24.

GALLERY MỚI NHẤT

Circle to Search lột xác trên Galaxy S26

Circle to Search lột xác trên Galaxy S26

Google nâng cấp Circle to Search trên Galaxy S26 với khả năng nhận diện đa vật thể và tích hợp thử đồ ảo, mở rộng mạnh mẽ tìm kiếm trực quan Android.