Siêu bão Haiyan khủng khiếp cỡ nào?

Siêu bão Haiyan khủng khiếp cỡ nào?

(Kiến Thức) - Siêu bão Haiyan, một trong những cơn bão được đánh giá là mạnh nhất thế giới, theo dự báo sẽ vào miền Trung Việt Nam lúc 16h ngày 10/11.

Siêu bão Haiyan giật cấp 17 được đánh giá là cơn bão mạnh nhất thế giới trong năm đang tiến vào biển Đông với tốc độ di chuyển rất nhanh. Ảnh siêu bão Haiyan đổ bộ vào Philippines từ phía tây Thái Bình Dương vào sáng 8/11. Nguồn: NOAA.
Siêu bão Haiyan giật cấp 17 được đánh giá là cơn bão mạnh nhất thế giới trong năm đang tiến vào biển Đông với tốc độ di chuyển rất nhanh. Ảnh siêu bão Haiyan đổ bộ vào Philippines từ phía tây Thái Bình Dương vào sáng 8/11. Nguồn: NOAA.
Máy dò hồng ngoại khí quyển (AIRS) của Aqua tập hợp dữ liệu hồng ngoại, đo nhiệt độ những đỉnh mây của "cơn bão quái vật" này và trên bề mặt của biển cho thấy nhiệt độ trung tâm bão Haiyan lạnh đến -63,15 độ C nên gây mưa rất lớn.
Máy dò hồng ngoại khí quyển (AIRS) của Aqua tập hợp dữ liệu hồng ngoại, đo nhiệt độ những đỉnh mây của "cơn bão quái vật" này và trên bề mặt của biển cho thấy nhiệt độ trung tâm bão Haiyan lạnh đến -63,15 độ C nên gây mưa rất lớn.
Bão làm nhiều người thiệt mạng, cây cối bật gốc, đổ rạp, các mái nhà bị gió cuốn tung, đường dây điện thoại cũng bị cắt đứt. Ảnh siêu bão đổ bộ vào thành phố Legaspi, tỉnh Albay, Philippines.
Bão làm nhiều người thiệt mạng, cây cối bật gốc, đổ rạp, các mái nhà bị gió cuốn tung, đường dây điện thoại cũng bị cắt đứt. Ảnh siêu bão đổ bộ vào thành phố Legaspi, tỉnh Albay, Philippines.
Haiyan đã phát triển thành cơn bão lớn nhất trong năm 2013 với sức gió 320 km/h và giật lên đến 370 km/h - sức gió nhanh nhất kể từ sau siêu bão Tip năm 1979. Ảnh đường phố Philippines tan hoang sau khi bão Haiyan quét qua. Ảnh: Reuters.
Haiyan đã phát triển thành cơn bão lớn nhất trong năm 2013 với sức gió 320 km/h và giật lên đến 370 km/h - sức gió nhanh nhất kể từ sau siêu bão Tip năm 1979. Ảnh đường phố Philippines tan hoang sau khi bão Haiyan quét qua. Ảnh: Reuters.
Sau khi quét qua Phillipines và Biển Đông, siêu bão được dự đoán sẽ đổ bộ vào Lào và Việt Nam vào chiều ngày 10/11.
Sau khi quét qua Phillipines và Biển Đông, siêu bão được dự đoán sẽ đổ bộ vào Lào và Việt Nam vào chiều ngày 10/11.
Hình ảnh siêu bão nhìn từ vũ trụ.
Hình ảnh siêu bão nhìn từ vũ trụ.
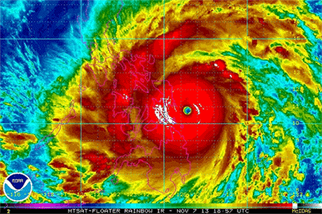
Mắt bão nhìn rất rõ từ bên ngoài không gian.
Mắt bão nhìn rất rõ từ bên ngoài không gian.
Siêu bão Haiyan che kín một vùng Tây Thái Bình Dương. Ảnh: NASA.
Siêu bão Haiyan che kín một vùng Tây Thái Bình Dương. Ảnh: NASA.
Bão Haiyan đang di chuyển rất nhanh, hướng vào miền Trung nước ta. Ảnh: Trung tâm Khí tượng Thuỷ văn Trung ương.
Bão Haiyan đang di chuyển rất nhanh, hướng vào miền Trung nước ta. Ảnh: Trung tâm Khí tượng Thuỷ văn Trung ương.

GALLERY MỚI NHẤT