Giải mã tên bão Trà Mi và cách đặt tên bão ở châu Á

Giải mã tên bão Trà Mi và cách đặt tên bão ở châu Á

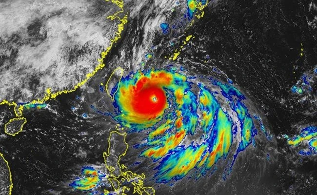
Từ năm 2000, Việt Nam đã đề cử với Ủy ban Bão quốc tế 10 tên bão bao gồm: SonTinh (Sơn Tinh); Lekima (Lekima); Ba Vi (Ba Vì); Conson (Côn Sơn); Sơn ca (Sơn Ca); Trami (Trà Mi)...

Việc đặt tên cho các cơn bão ở khu vực Châu Á - Thái Bình Dương tuân theo một hệ thống có tổ chức và khác biệt so với các khu vực khác trên thế giới. Hệ thống này do Ủy ban Bão của Tổ chức Khí tượng Thế giới (WMO) điều phối.
Việc đặt tên cho các cơn bão ở khu vực Châu Á - Thái Bình Dương tuân theo một hệ thống có tổ chức và khác biệt so với các khu vực khác trên thế giới. Hệ thống này do Ủy ban Bão của Tổ chức Khí tượng Thế giới (WMO) điều phối.
Danh sách các tên bão được cung cấp bởi 14 quốc gia và vùng lãnh thổ ven biển trong khu vực Tây Bắc Thái Bình Dương và Biển Đông, bao gồm Việt Nam, Nhật Bản, Trung Quốc, Philippines, Hàn Quốc, và các quốc gia khác.
Danh sách các tên bão được cung cấp bởi 14 quốc gia và vùng lãnh thổ ven biển trong khu vực Tây Bắc Thái Bình Dương và Biển Đông, bao gồm Việt Nam, Nhật Bản, Trung Quốc, Philippines, Hàn Quốc, và các quốc gia khác.
14 quốc gia và vùng lãnh thổ trong khu vực này đã đóng góp tổng cộng 140 cái tên, mỗi quốc gia cung cấp 10 tên. Các tên bão không được đặt theo thứ tự bảng chữ cái như ở một số khu vực khác, mà được luân phiên từ danh sách đã chuẩn bị sẵn.
14 quốc gia và vùng lãnh thổ trong khu vực này đã đóng góp tổng cộng 140 cái tên, mỗi quốc gia cung cấp 10 tên. Các tên bão không được đặt theo thứ tự bảng chữ cái như ở một số khu vực khác, mà được luân phiên từ danh sách đã chuẩn bị sẵn.
Mỗi khi một cơn bão mới hình thành trong khu vực, tên đầu tiên trong danh sách sẽ được chọn và quá trình này lặp lại theo thứ tự luân phiên giữa các quốc gia.
Mỗi khi một cơn bão mới hình thành trong khu vực, tên đầu tiên trong danh sách sẽ được chọn và quá trình này lặp lại theo thứ tự luân phiên giữa các quốc gia.
Tên của các cơn bão không chỉ là tên riêng mà còn có thể là tên động vật, hoa, cây cối, địa danh hoặc những từ có ý nghĩa đặc biệt đối với văn hóa của quốc gia đề xuất tên đó.
Tên của các cơn bão không chỉ là tên riêng mà còn có thể là tên động vật, hoa, cây cối, địa danh hoặc những từ có ý nghĩa đặc biệt đối với văn hóa của quốc gia đề xuất tên đó.
Từ năm 2000, Việt Nam đã đề cử 10 tên bão bao gồm: SonTinh (Sơn Tinh); Lekima (Lekima); Ba Vi (Ba Vì); Conson (Côn Sơn); Sơnca (Sơn Ca); Trami (Trà Mi); Halong (Hạ Long); Vamco (Vàm cỏ); Songda (Sông Đà); Saola (Sao La).
Từ năm 2000, Việt Nam đã đề cử 10 tên bão bao gồm: SonTinh (Sơn Tinh); Lekima (Lekima); Ba Vi (Ba Vì); Conson (Côn Sơn); Sơnca (Sơn Ca); Trami (Trà Mi); Halong (Hạ Long); Vamco (Vàm cỏ); Songda (Sông Đà); Saola (Sao La).
Các tên trong danh sách được sử dụng luân phiên và có thể được tái sử dụng sau một vài năm. Tuy nhiên, nếu một cơn bão gây thiệt hại nghiêm trọng hoặc có tác động lớn, tên của cơn bão đó có thể bị loại bỏ khỏi danh sách và thay thế bằng một tên mới.
Các tên trong danh sách được sử dụng luân phiên và có thể được tái sử dụng sau một vài năm. Tuy nhiên, nếu một cơn bão gây thiệt hại nghiêm trọng hoặc có tác động lớn, tên của cơn bão đó có thể bị loại bỏ khỏi danh sách và thay thế bằng một tên mới.
Ví dụ: Tên bão Haiyan (Siêu bão Hải Yến, 2013) đã được loại bỏ do sức tàn phá khủng khiếp của nó tại Philippines và các khu vực khác.
Ví dụ: Tên bão Haiyan (Siêu bão Hải Yến, 2013) đã được loại bỏ do sức tàn phá khủng khiếp của nó tại Philippines và các khu vực khác.
Hệ thống đặt tên này chỉ được áp dụng cho các cơn bão nhiệt đới hình thành trong khu vực Tây Bắc Thái Bình Dương và Biển Đông, bao gồm các vùng lãnh thổ từ Philippines, Việt Nam, Trung Quốc đến Nhật Bản và Hàn Quốc.
Hệ thống đặt tên này chỉ được áp dụng cho các cơn bão nhiệt đới hình thành trong khu vực Tây Bắc Thái Bình Dương và Biển Đông, bao gồm các vùng lãnh thổ từ Philippines, Việt Nam, Trung Quốc đến Nhật Bản và Hàn Quốc.
Mới quý độc giả xem video: Bỏ 70 triệu đồng đi du lịch Châu Âu 28 ngày. Nguồn: VTV24.

GALLERY MỚI NHẤT