Nghe tên đáng sợ nhưng cá tà ma từ ngoại hình đế màu sắc đều không xấu. Ngược lại, cá tài ma chắc thịt, thơm ngon nên trở thành đặc sản được ưa chuộng.
Hoàng Minh (tổng hợp)
Vùng biển Lý Sơn có một loại cá mà khi nghe tên nhiều người sợ hãi, đó là cá tà ma. Ảnh: IT
Loài cá này không xấu, không đáng sợ, không độc hại nhưng được gọi là tà ma bởi chúng sống ở gành rạn san hô, đá ngầm và rất tinh nhanh. Ảnh: Vi Vu Lý Sơn
Cũng vì đặc tính rất tinh nhanh của cá tà ma mà việc phát hiện, đánh bắt không dễ dàng. Ảnh: IT
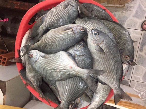
Cá tà ma thân dẹt, to nhất chỉ cỡ gang tay người lớn, bộ vảy bên ngoài màu nâu bùn với các vảy nhỏ ti ti. Ảnh: Hải sản Lý Sơn
Nhìn bên ngoài, cá tà mà có hình giống như con cá rô phi nước ngọt nhưng to hơn. Ảnh: Internet
Không chỉ ở Lý Sơn, cá tà ma còn xuất hiện tại vùng biển Nha Trang và một số nơi khác như Quy Nhơn, đảo Phú Quý. Ảnh: Seba
Trước đây, chỉ người dân địa phương mới biết tới nhưng hiện nay cá tà ma được du khách ưa chuộng và lùng mua thưởng thức mỗi khi đến mùa. Ảnh: Internet
Giá cá tà ma bán tại chợ hải sản và các cửa hàng hải sản ở Quảng Ngãi khoảng 200.000 đồng/kg. Ảnh: IT
Thịt cá tà ma ngọt, dai và béo ngậy, có thể chế biến thành nhiều món ngon như nấu lẩu, cháo, nướng, nấu canh chua...Ảnh: HaisanLySon
Cá tà ma chỉ có trong tự nhiên, không nuôi trồng nên số lượng hạn chế, phải đến mùa mới mua được. Ảnh: dulichnhatrang