Phát hiện “con đường gạch vàng” nghi dẫn tới thành phố huyền thoại Atlantis

Phát hiện “con đường gạch vàng” nghi dẫn tới thành phố huyền thoại Atlantis

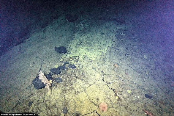
Các chuyên gia phát hiện một "con đường gạch vàng" ở đáy biển ngoài khơi Hawaii. Từ đây, một số người hoài nghi đó là con đường dẫn tới thành phố Atlantis.

Trong lần lặn thám hiểm đáy biển tại khu vực gần đỉnh núi Liliاuokalani, thuộc vùng biển của Khu bảo tồn hải dương quốc gia Papahānaumokuakea (PMNM) ở Thái Bình Dương (Hawaii), các chuyên gia hải dương học thuộc tàu nghiên cứu Exploration Vessel Nautilus bất ngờ phát hiện " con đường gạch vàng".
Trong lần lặn thám hiểm đáy biển tại khu vực gần đỉnh núi Liliاuokalani, thuộc vùng biển của Khu bảo tồn hải dương quốc gia Papahānaumokuakea (PMNM) ở Thái Bình Dương (Hawaii), các chuyên gia hải dương học thuộc tàu nghiên cứu Exploration Vessel Nautilus bất ngờ phát hiện " con đường gạch vàng".
Theo các chuyên gia, "con đường gạch vàng" là một thành hệ địa chất kỳ lạ. Thành địa chất (hệ tầng địa chất hay tằng hệ địa chất, thành hệ, hệ tầng) là đơn vị cơ bản của thạch địa tầng.
Theo các chuyên gia, "con đường gạch vàng" là một thành hệ địa chất kỳ lạ. Thành địa chất (hệ tầng địa chất hay tằng hệ địa chất, thành hệ, hệ tầng) là đơn vị cơ bản của thạch địa tầng.
Trong khoa học, khái niệm một thành hệ trong nghiên cứu địa chất bao gồm một lượng nhất định các tầng đá với các tính chất thạch học, nham tướng có thể so sánh được.
Trong khoa học, khái niệm một thành hệ trong nghiên cứu địa chất bao gồm một lượng nhất định các tầng đá với các tính chất thạch học, nham tướng có thể so sánh được.
Việc nghiên cứu các thành hệ giúp giới nhà khoa học có thể so sánh tương quan giữa các tầng địa chất.
Việc nghiên cứu các thành hệ giúp giới nhà khoa học có thể so sánh tương quan giữa các tầng địa chất.
Thành hệ địa chất mới phát hiện dưới đát biển trông giống hệt những viên gạch lát ngay ngắn cạnh nhau tạo thành một con đường nhỏ dài.
Thành hệ địa chất mới phát hiện dưới đát biển trông giống hệt những viên gạch lát ngay ngắn cạnh nhau tạo thành một con đường nhỏ dài.
Khi nhìn cảnh tượng này, một số chuyên gia cho rằng "con đường gạch vàng" có thể là lối đi bí mật dẫn tới thành phố huyền thoại Atlantis mà nhân loại đi tìm suốt nhiều thế kỷ qua.
Khi nhìn cảnh tượng này, một số chuyên gia cho rằng "con đường gạch vàng" có thể là lối đi bí mật dẫn tới thành phố huyền thoại Atlantis mà nhân loại đi tìm suốt nhiều thế kỷ qua.
Atlantis là một thành phố cổ đại được nhắc đến trong nhiều sử liệu, bao gồm các tác phẩm của nhà triết học Hy Lạp Plato vào khoảng năm 400 trước Công nguyên.
Atlantis là một thành phố cổ đại được nhắc đến trong nhiều sử liệu, bao gồm các tác phẩm của nhà triết học Hy Lạp Plato vào khoảng năm 400 trước Công nguyên.
Thành phố Atlantis vô cùng phát triển với nhiều tòa nhà, đường xá, công trình công cộng đồ sộ. Nơi đây có một ngôi đền thờ thần Poseidon tráng lệ. Người dân có cuộc sống vô cùng sung túc và hạnh phúc.
Thành phố Atlantis vô cùng phát triển với nhiều tòa nhà, đường xá, công trình công cộng đồ sộ. Nơi đây có một ngôi đền thờ thần Poseidon tráng lệ. Người dân có cuộc sống vô cùng sung túc và hạnh phúc.
Tuy nhiên, Atlantis đột ngột biến mất khỏi Trái đất. Nguyên nhân được cho là do thảm họa thiên nhiên như sóng thần, động đất hoặc núi lửa phun trào đã chôn vùi thành phố huyền thoại này.
Tuy nhiên, Atlantis đột ngột biến mất khỏi Trái đất. Nguyên nhân được cho là do thảm họa thiên nhiên như sóng thần, động đất hoặc núi lửa phun trào đã chôn vùi thành phố huyền thoại này.
Do vậy, suốt nhiều năm qua, giới chuyên gia nỗ lực tìm kiếm, xác định vị trí của Atlantis.
Do vậy, suốt nhiều năm qua, giới chuyên gia nỗ lực tìm kiếm, xác định vị trí của Atlantis.
Mời độc giả xem video: Mê mẩn với con đường phong lá đỏ ở Hà Nội. Nguồn: THDT.

GALLERY MỚI NHẤT

Circle to Search lột xác trên Galaxy S26

Circle to Search lột xác trên Galaxy S26

Google nâng cấp Circle to Search trên Galaxy S26 với khả năng nhận diện đa vật thể và tích hợp thử đồ ảo, mở rộng mạnh mẽ tìm kiếm trực quan Android.