Hiện bão số 10 mạnh cấp 8, giật cấp 10, vị trí đang ở giữa Biển Đông, di chuyển theo hướng Tây Tây Nam. Trong nhiều giờ qua hầu như bão ít di chuyển.
Bão số 8 (bão Toraji) di chuyển chậm trên Biển Đông với cường độ mạnh cấp 8-9, giật cấp 11 có khả năng cao tan trên Biển Đông và ít có ảnh hưởng tới đất liền nước ta.
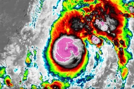
Bão Yinxing đã suy yếu thành áp thấp nhiệt đới trong khi cơn bão Toraji đang đạt cực đại khi quần thảo trên vùng bờ biển phía Tây đảo Luzon (Philippines).
Bão Yinxing (bão số 7) dự báo sẽ suy yếu thành áp thấp nhiệt đới rồi tan dần trên khu vực Gia Lai - Bình Định, tuy nhiên, có thể xảy ra mưa lớn gây ngập úng.
Bộ Nông nghiệp và Phát triển nông thôn vừa gửi công điện khẩn, yêu cầu các tỉnh ven biển từ Quảng Ninh đến Bình Thuận sẵn sàng các biện pháp ứng phó với bão Toraji.
Dự báo sau khi bão Yinxing (bão số 7) suy yếu, Biển Đông có thể đón liên tiếp cơn bão số 8 (bão Toraji) và bão số 9 (bão Man-Yi) cùng một áp thấp nhiệt đới.
Theo dự báo, 13h ngày 9/11 bão số 7 cách quần đảo Hoàng Sa khoảng 420km về phía Đông Bắc với sức gió mạnh nhất vùng gần tâm bão mạnh cấp 13-14, giật cấp 17.
Bão Yinxing đã mạnh thêm 1 cấp, hiện đã mạnh cấp 15, giật trên cấp 17 và đang áp sát Biển Đông trên vùng biển phía đông bắc đảo Luzon. Dự báo ngày mai sẽ tiến vào Biển Đông.
Một cơn bão hình thành ngoài khơi Philippines, có khả năng đi vào biển Đông trở thành cơn bão số 7 (bão Yinxing). Bão Yinxing có thể đạt cấp 14 khi đến gần Philippines.
Từ chiều tối và đêm 26/10 đến đêm 28/10, ở khu vực Quảng Bình đến Quảng Ngãi có mưa to đến rất to với tổng lượng mưa phổ biến từ 300-500mm, cục bộ có nơi trên 700mm.