Áp thấp nhiệt đới ở phía Đông Philippines đã mạnh lên thành bão Yinxing, được nhận định sẽ tăng cấp nhanh chóng. Hiện tại, tất cả các mô hình dự báo đều cho rằng cơn bão này sẽ đi vào biển Đông và như vậy, nó sẽ trở thành cơn bão số 7 theo cách gọi của nước ta.
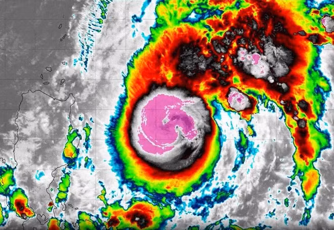
Theo thông báo sáng sớm nay của Trung tâm Cảnh báo Bão Liên hợp (JTWC) của Mỹ, bão Yinxing đang ở phía Đông Philippines, có sức gió 75 km/h (cấp 9), dự báo sẽ di chuyển theo hướng Tây Bắc trong 2 ngày tiếp theo trong khi tiếp tục mạnh lên. Bão Yinxing có thể đạt đến sức gió 150 - 155 km/h (cấp 14) khi nó đến sát hoặc đổ bộ phía Bắc Philippines.
Hiện tại, tất cả các mô hình dự báo lớn, bao gồm của JTWC, Cơ quan Khí tượng Nhật Bản (JMA), UKM của Vương quốc Anh và ECMWF của châu Âu đều cho rằng bão Yinxing sẽ đi khá sâu vào biển Đông. Khi các mô hình đã thống nhất như vậy thì có thể hiểu là gần như chắc chắn bão Yinxing sẽ trở thành cơn bão số 7 theo cách gọi của nước ta. Thời điểm bão Yinxing vào biển Đông là khoảng ngày 8 - 9/11 (thứ Sáu đến thứ Bảy tuần này).
![]() |
| Bão Yinxing dự kiến đạt cực đại trước khi đổ bộ vào Philippines. Ảnh: Tropicaltidbits.com |
Đáng chú ý là theo các dự báo hiện tại thì khi vào Biển Đông, có thể bão Yinxing vẫn giữ được cường độ rất mạnh, với sức gió 125 - 130 km/h (cấp 12), còn gọi là bão cuồng phong, theo JTWC và JMA.
Sau khi bão Yinxing vào biển Đông, các mô hình dự báo trở nên khá khác nhau do cơn bão sẽ chịu ảnh hưởng của nhiều yếu tố, hơn nữa, dự báo bão xa như vậy thì độ chắc chắn không cao. Tuy nhiên, do bão vẫn rất mạnh khi vào biển Đông và diễn biến khó lường nên người dân lưu ý thường xuyên theo dõi các bản tin để có thông tin cập nhật về cơn bão này.
Trung tâm Dự báo Khí tượng Thủy văn Quốc gia Việt Nam cảnh báo về tình hình gió tại vịnh Bắc Bộ và các vùng biển khác, yêu cầu người dân theo dõi sát sao và thực hiện các biện pháp an toàn cần thiết.
Nếu bão vào biển Đông, khả năng mưa lớn ở miền Trung kết thúc sớm hơn dự báo.
