Chấn động dấu tích nghi người ngoài hành tinh hiện diện dưới đáy biển

Chấn động dấu tích nghi người ngoài hành tinh hiện diện dưới đáy biển

Các chuyên gia thuộc tàu Okeanos Explorer của Cơ quan Khí quyển và Đại dương Quốc gia (NOAA) đã phát hiện những lỗ thủng bí ẩn dưới đáy biển. Một quan điểm cho rằng, người ngoài hành tinh đã tạo ra chúng.

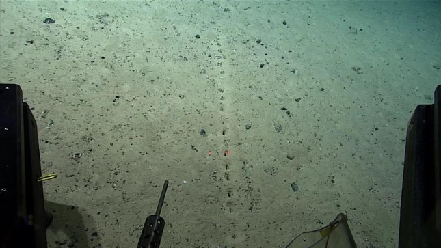
Khi kiểm tra Mid-Atlantic Ridge - một khu vực hầu như chưa được khám phá của đáy biển thuộc dãy núi lớn nhất thế giới, các chuyên gia thuộc tàu Okeanos Explorer của Cơ quan Khí quyển và Đại dương Quốc gia (NOAA) phát hiện hàng loạt lỗ thủng bí ẩn. Những lỗ thủng này tạo thành một đường thẳng và cách mặt biển khoảng 2.600m.
Khi kiểm tra Mid-Atlantic Ridge - một khu vực hầu như chưa được khám phá của đáy biển thuộc dãy núi lớn nhất thế giới, các chuyên gia thuộc tàu Okeanos Explorer của Cơ quan Khí quyển và Đại dương Quốc gia (NOAA) phát hiện hàng loạt lỗ thủng bí ẩn. Những lỗ thủng này tạo thành một đường thẳng và cách mặt biển khoảng 2.600m.
Theo các chuyên gia, những lỗ thủng kỳ lạ trên được bao quanh bởi những gò trầm tích nhỏ. Phát hiện này khiến họ tò mì không biết ai hay cái gì đã tạo ra những lỗ thủng dưới đáy biển.
Theo các chuyên gia, những lỗ thủng kỳ lạ trên được bao quanh bởi những gò trầm tích nhỏ. Phát hiện này khiến họ tò mì không biết ai hay cái gì đã tạo ra những lỗ thủng dưới đáy biển.
Đây không phải là lần đầu tiên người ta phát hiện ra các lỗ thủng trong khu vực Mid-Atlantic Ridge.
Đây không phải là lần đầu tiên người ta phát hiện ra các lỗ thủng trong khu vực Mid-Atlantic Ridge.
Trước đó, vào năm 2004, 2 nhà khoa học hàng hải thuộc Cơ quan Nghề cá Biển Quốc gia của Mỹ phát hiện ra những lỗ thủng bí ẩn dưới đáy đại dương trong một chuyến lặn biển.
Trước đó, vào năm 2004, 2 nhà khoa học hàng hải thuộc Cơ quan Nghề cá Biển Quốc gia của Mỹ phát hiện ra những lỗ thủng bí ẩn dưới đáy đại dương trong một chuyến lặn biển.
Chia sẻ về phát hiện này, các nhà chuyên gia của NOAA cho hay: "Những lỗ thủng này đã được báo cáo trước đây từ khu vực. Thế nhưng, nguồn gốc của chúng vẫn còn là một bí ẩn".
Chia sẻ về phát hiện này, các nhà chuyên gia của NOAA cho hay: "Những lỗ thủng này đã được báo cáo trước đây từ khu vực. Thế nhưng, nguồn gốc của chúng vẫn còn là một bí ẩn".
Chuyên gia NOAA cho biết thêm những lỗ thủng đó trông giống như do con người tạo ra. Những đống trầm tích nhỏ xung quanh các lỗ thủng cho thấy dường như chúng bị một thứ gì đó khai quật.
Chuyên gia NOAA cho biết thêm những lỗ thủng đó trông giống như do con người tạo ra. Những đống trầm tích nhỏ xung quanh các lỗ thủng cho thấy dường như chúng bị một thứ gì đó khai quật.
Trong khi các nhà khoa học đã và đang nỗ lực giải mã những bí ẩn về các lỗ thủng kỳ lạ trên, một giả thuyết cho rằng "thủ phạm" tạo ra chúng có thể chính là người ngoài hành tinh.
Trong khi các nhà khoa học đã và đang nỗ lực giải mã những bí ẩn về các lỗ thủng kỳ lạ trên, một giả thuyết cho rằng "thủ phạm" tạo ra chúng có thể chính là người ngoài hành tinh.
Sở dĩ như vậy là vì trong nhiều năm qua, một số nhân chứng, bao gồm cả phi công dân sự lẫn quân sự báo cáo nhìn thấy UFO xuất hiện trên biển rồi lặn xuống đáy biển. Điều này làm dấy lên hoài nghi căn cứ của người ngoài hành tinh ở đáy đại dương.
Sở dĩ như vậy là vì trong nhiều năm qua, một số nhân chứng, bao gồm cả phi công dân sự lẫn quân sự báo cáo nhìn thấy UFO xuất hiện trên biển rồi lặn xuống đáy biển. Điều này làm dấy lên hoài nghi căn cứ của người ngoài hành tinh ở đáy đại dương.
Nếu điều này là thật thì người ngoài hành tinh tạo ra những lỗ thủng kỳ lạ đó để làm gì là điều mà mọi người vô cùng tò mò. Công chúng hy vọng bí ẩn này sẽ sớm được các chuyên gia làm sáng tỏ.
Nếu điều này là thật thì người ngoài hành tinh tạo ra những lỗ thủng kỳ lạ đó để làm gì là điều mà mọi người vô cùng tò mò. Công chúng hy vọng bí ẩn này sẽ sớm được các chuyên gia làm sáng tỏ.
Mời độc giả xem video: Tổng thống Putin lặn xuống đáy biển xem xác tàu ngầm Thế chiến 2. Nguồn: Truyền hình Pháp luật.

GALLERY MỚI NHẤT

4 iPhone cũ đáng mua nhất năm 2026

4 iPhone cũ đáng mua nhất năm 2026

Xu hướng săn iPhone đời cũ đang lên ngôi năm 2026, khi giá giảm sâu nhưng vẫn giữ hiệu năng mạnh mẽ, thiết kế sang trọng và nhiều tính năng hiện đại.