Sự thật ảnh tâm bão số 4 Noru lan truyền chóng mặt trên Facebook

Sự thật ảnh tâm bão số 4 Noru lan truyền chóng mặt trên Facebook

Gần đây nhiều tài khoản Facebook đăng tải hình ảnh về "tâm bão Noru", nhưng thực chất những hình ảnh đó là ảnh chụp cơn bão cùng tên cách đây 5 năm.

Mới đây nhiều người dùng Facebook chia sẻ loạt hình ảnh vệ tinh của bão Noru, kèm loạt ảnh một cơn bão được chụp từ các trạm vũ trụ quay quanh quỹ đạo Trái Đất.
Mới đây nhiều người dùng Facebook chia sẻ loạt hình ảnh vệ tinh của bão Noru, kèm loạt ảnh một cơn bão được chụp từ các trạm vũ trụ quay quanh quỹ đạo Trái Đất.
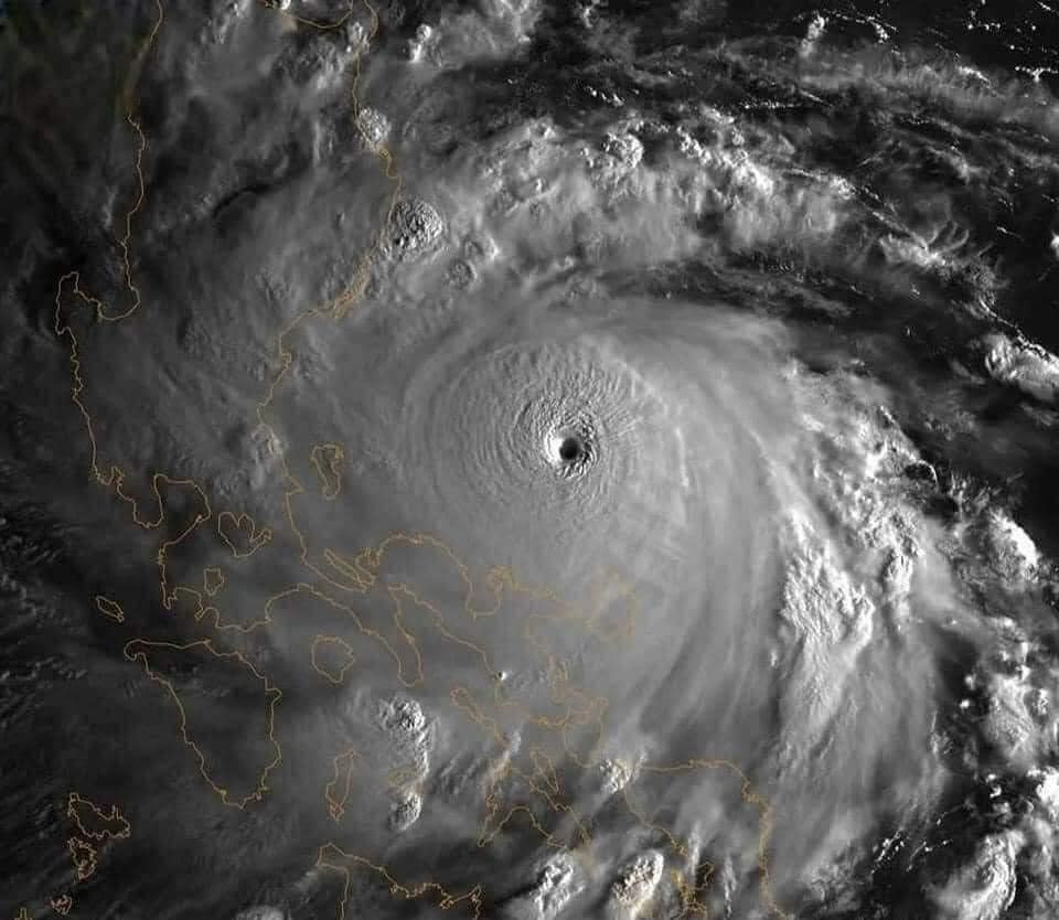
Sau khi những hình ảnh vệ tinh về cơn bão Noru được chia sẻ nhiều trên MXH, không ít người nhận ra những hình ảnh đó thực chất là ảnh chụp bão Noru xuất hiện vào năm 2017, không phải cơn bão đang tiến sát đến đất liền Việt Nam. Ảnh: Chụp màn hình
Sau khi những hình ảnh vệ tinh về cơn bão Noru được chia sẻ nhiều trên MXH, không ít người nhận ra những hình ảnh đó thực chất là ảnh chụp bão Noru xuất hiện vào năm 2017, không phải cơn bão đang tiến sát đến đất liền Việt Nam. Ảnh: Chụp màn hình
Cụ thể những hình ảnh này là chụp bão Noru năm 2017 bởi các phi hành gia trên Trạm Vũ trụ Quốc tế (ISS). Ảnh: Chụp màn hình
Cụ thể những hình ảnh này là chụp bão Noru năm 2017 bởi các phi hành gia trên Trạm Vũ trụ Quốc tế (ISS). Ảnh: Chụp màn hình
Một bức ảnh của phi hành gia Sergey Ryazansky chụp trên ISS ngày 1/8/2017 cho thấy độ lớn của bão Noru với nội dung “Siêu bão Noru đang di chuyển trên Thái Bình Dương”. Ảnh: Alexander Gerst
Một bức ảnh của phi hành gia Sergey Ryazansky chụp trên ISS ngày 1/8/2017 cho thấy độ lớn của bão Noru với nội dung “Siêu bão Noru đang di chuyển trên Thái Bình Dương”. Ảnh: Alexander Gerst
Đây là siêu bão từng càn quét khu vực phía Bắc và Trung Nhật Bản. Sức mạnh và tốc độ di chuyển nhanh của cơn bão khiến các phi hành gia trên ISS tích cực theo dõi. Ảnh: Sergey Ryazansky
Đây là siêu bão từng càn quét khu vực phía Bắc và Trung Nhật Bản. Sức mạnh và tốc độ di chuyển nhanh của cơn bão khiến các phi hành gia trên ISS tích cực theo dõi. Ảnh: Sergey Ryazansky
Một số tài khoản khác còn đăng ảnh chụp từ ISS của Trami, siêu bão hình thành năm 2018 tại phía tây Thái Bình Dương. Ngày 25/9/2018, nhà du hành vũ trụ người Đức Alexander Gerst đăng trên Twitter hình ảnh siêu bão Trami từ ISS, miêu tả mắt bão như "ổ cắm điện" khổng lồ trên bề mặt Trái Đất. Ảnh: Jack Fischer
Một số tài khoản khác còn đăng ảnh chụp từ ISS của Trami, siêu bão hình thành năm 2018 tại phía tây Thái Bình Dương. Ngày 25/9/2018, nhà du hành vũ trụ người Đức Alexander Gerst đăng trên Twitter hình ảnh siêu bão Trami từ ISS, miêu tả mắt bão như "ổ cắm điện" khổng lồ trên bề mặt Trái Đất. Ảnh: Jack Fischer
Thực chất những hình ảnh này là về siêu bão Noru năm 2017 và Trami, tuy nhiên khi một số trang Facebook chia sẻ, việc không chú thích thời gian khiến nhiều người nhầm tưởng đó là bão Noru đang xuất hiện trên Biển Đông. Ảnh: Chụp màn hình
Thực chất những hình ảnh này là về siêu bão Noru năm 2017 và Trami, tuy nhiên khi một số trang Facebook chia sẻ, việc không chú thích thời gian khiến nhiều người nhầm tưởng đó là bão Noru đang xuất hiện trên Biển Đông. Ảnh: Chụp màn hình
Các bài viết thu hút hàng chục nghìn lượt tương tác và chia sẻ. Trong sáng 27/9, một số tài khoản đã xóa bài viết, hoặc chỉ để lại ảnh chụp từ các vệ tinh thời tiết. Ảnh: Facebook
Các bài viết thu hút hàng chục nghìn lượt tương tác và chia sẻ. Trong sáng 27/9, một số tài khoản đã xóa bài viết, hoặc chỉ để lại ảnh chụp từ các vệ tinh thời tiết. Ảnh: Facebook
Có thể thấy thời gian hình thành cơn bão Trami và cơn bão Noru đang áp sát nước ta hiện tại trùng nhau nên nhiều người đã lầm tưởng chúng là một, chia sẻ nhiều lên MXH. Ảnh: Facebook
Có thể thấy thời gian hình thành cơn bão Trami và cơn bão Noru đang áp sát nước ta hiện tại trùng nhau nên nhiều người đã lầm tưởng chúng là một, chia sẻ nhiều lên MXH. Ảnh: Facebook
Theo đó ảnh chụp từ Trạm không gian bão Trami vào năm 2018 là ngày 25/9, và bão Noru hiện tại cũng khoảng thời gian này. Ảnh: Facebook
Theo đó ảnh chụp từ Trạm không gian bão Trami vào năm 2018 là ngày 25/9, và bão Noru hiện tại cũng khoảng thời gian này. Ảnh: Facebook

GALLERY MỚI NHẤT

Diễn viên Thương Tín qua đời ở tuổi 69

Diễn viên Thương Tín qua đời ở tuổi 69

Diễn viên Thương Tín qua đời vào ngày 8/12 tại nhà riêng ở Khánh Hòa. Ông ra đi ở tuổi 69. Ông để lại dấu ấn sâu đậm qua hàng trăm vai diễn trong lịch sử điện ảnh Việt Nam.