Bờ biển rút cạn nước sau bão Ian, chuyên gia lo ngay ngáy vì...

Bờ biển rút cạn nước sau bão Ian, chuyên gia lo ngay ngáy vì...

Chỉ vài giờ trước khi cơn bão Ian đổ bộ Florida, nước ở các bờ biển đã bị hút đi khiến các chuyên gia phải phát đi cảnh báo nguy hiểm, khuyến cáo người dân không được đến gần.

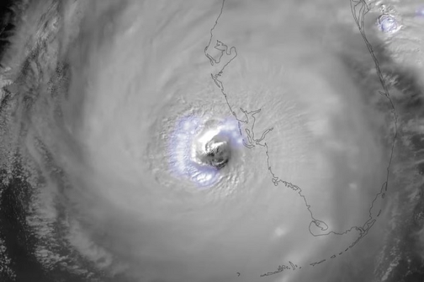
Chiều 28/9 (theo giờ địa phương), bão Ian đã đổ bộ vào bang Florida của nước Mỹ với sức gió mạnh nhất vào khoảng 241 km/h. Bão Ian được xếp vào nhóm cấp 4 trong thang cảnh báo bão 5 cấp của Mỹ.
Chiều 28/9 (theo giờ địa phương), bão Ian đã đổ bộ vào bang Florida của nước Mỹ với sức gió mạnh nhất vào khoảng 241 km/h. Bão Ian được xếp vào nhóm cấp 4 trong thang cảnh báo bão 5 cấp của Mỹ.
Tuy nhiên, chỉ vài giờ trước khi cơn bão Ian đổ bộ Florida, nước ở các bờ biển đã bị hút đi. Những đợt sóng vỗ và bãi biển nông nhanh chóng bị thay thế bằng đáy biển đầy cát cằn cỗi, để lộ ra những mảnh vỏ sò trắng và rong biển nằm rải rác.
Tuy nhiên, chỉ vài giờ trước khi cơn bão Ian đổ bộ Florida, nước ở các bờ biển đã bị hút đi. Những đợt sóng vỗ và bãi biển nông nhanh chóng bị thay thế bằng đáy biển đầy cát cằn cỗi, để lộ ra những mảnh vỏ sò trắng và rong biển nằm rải rác.
Từ video được người dân đăng tải, có thể thấy các bãi biển trải dài bị cạn đáy sau khi nước rút nhanh, một hiện tượng hiếm gặp trước những cơn bão bất thường.
Từ video được người dân đăng tải, có thể thấy các bãi biển trải dài bị cạn đáy sau khi nước rút nhanh, một hiện tượng hiếm gặp trước những cơn bão bất thường.
Theo các chuyên gia, hiện tượng này được gọi là "triều cường đảo ngược" - hay hiện tượng rút nước - xảy ra khi một gió của một cơn bão ngoài khơi hút nước gần bờ biển, khiến bãi biển cạn đáy. Hiện tượng này ngược với triều cường, khi nước gần bờ biển dâng lên cao nhất.
Theo các chuyên gia, hiện tượng này được gọi là "triều cường đảo ngược" - hay hiện tượng rút nước - xảy ra khi một gió của một cơn bão ngoài khơi hút nước gần bờ biển, khiến bãi biển cạn đáy. Hiện tượng này ngược với triều cường, khi nước gần bờ biển dâng lên cao nhất.
Tuy nhiên, các đợt rút nước do bão tiềm ẩn những hiểm hoạ nhất định, phụ thuộc vào vị trí tương đối của nó với mắt bão. Điều nguy hiểm nhất là nước sẽ nhanh chóng quay trở lại khiến nhiều người không kịp trở tay.
Tuy nhiên, các đợt rút nước do bão tiềm ẩn những hiểm hoạ nhất định, phụ thuộc vào vị trí tương đối của nó với mắt bão. Điều nguy hiểm nhất là nước sẽ nhanh chóng quay trở lại khiến nhiều người không kịp trở tay.
"Mọi người có thể mất cảnh giác khi thấy nước rút và nghĩ rằng rủi ro của họ thấp hơn… đó có thể là một cảm giác an toàn giả và nước có thể tràn ngược trở lại rất nhanh khi gió đổi hướng", Hal Needham, một nhà khoa học về thảm họa và thời tiết khắc nghiệt tại GeoTrek cho biết.
"Mọi người có thể mất cảnh giác khi thấy nước rút và nghĩ rằng rủi ro của họ thấp hơn… đó có thể là một cảm giác an toàn giả và nước có thể tràn ngược trở lại rất nhanh khi gió đổi hướng", Hal Needham, một nhà khoa học về thảm họa và thời tiết khắc nghiệt tại GeoTrek cho biết.
"Chúng ta có thể hiểu rằng thiên nhiên đang gửi đi thông điệp gì đó. Nó khiến bạn nhận ra đây không phải là thời tiết bình thường và rất nhiều điều kỳ lạ đang diễn ra. Mặc dù nhiều cư dân hiếu kì sẽ muốn đi dạo trên đáy đại dương cạn nước, nhưng các chuyên gia cảnh báo rằng điều này có thể nguy hiểm".
"Chúng ta có thể hiểu rằng thiên nhiên đang gửi đi thông điệp gì đó. Nó khiến bạn nhận ra đây không phải là thời tiết bình thường và rất nhiều điều kỳ lạ đang diễn ra. Mặc dù nhiều cư dân hiếu kì sẽ muốn đi dạo trên đáy đại dương cạn nước, nhưng các chuyên gia cảnh báo rằng điều này có thể nguy hiểm".
"Dừng ngay: Lời khuyên của chúng tôi là không đi ra ngoài vùng nước đang rút ở Vịnh Tampa hoặc Cảng Charlotte - nước sẽ quay trở lại cùng cơn bão và gây ra nguy cơ đe dọa tính mạng," Ban Quản lý Khẩn cấp Florida cho biết trong một dòng tweet.
"Dừng ngay: Lời khuyên của chúng tôi là không đi ra ngoài vùng nước đang rút ở Vịnh Tampa hoặc Cảng Charlotte - nước sẽ quay trở lại cùng cơn bão và gây ra nguy cơ đe dọa tính mạng," Ban Quản lý Khẩn cấp Florida cho biết trong một dòng tweet.
Cũng như các dấu hiệu tương tự của sóng thần, các chuyên gia cảnh báo rằng nếu thấy nước biển rút đi đột ngột, hãy tránh càng xa mặt nước càng tốt.
Cũng như các dấu hiệu tương tự của sóng thần, các chuyên gia cảnh báo rằng nếu thấy nước biển rút đi đột ngột, hãy tránh càng xa mặt nước càng tốt.
Ian cũng được đánh giá là một trong những cơn bão mạnh nhất từng quét qua Mỹ trong những năm gần đây. Ước tính, khoảng 2,5 triệu người dân ở các hạt ven biển Florida phải sơ tán, cùng với hàng chục nơi trú ẩn đã được thiết lập.
Ian cũng được đánh giá là một trong những cơn bão mạnh nhất từng quét qua Mỹ trong những năm gần đây. Ước tính, khoảng 2,5 triệu người dân ở các hạt ven biển Florida phải sơ tán, cùng với hàng chục nơi trú ẩn đã được thiết lập.
Trước đó, bão Ian đã quét qua Cuba, khiến giới chức nước này phải cật lực sửa chữa mạng lưới điện cho hơn 11 triệu dân. Truyền thông đưa tin, cơn bão khiến ít nhất 2 người thiệt mạng ở miền tây Cuba.
Trước đó, bão Ian đã quét qua Cuba, khiến giới chức nước này phải cật lực sửa chữa mạng lưới điện cho hơn 11 triệu dân. Truyền thông đưa tin, cơn bão khiến ít nhất 2 người thiệt mạng ở miền tây Cuba.
Trước đó, NASA đã phải tạm hoãn sứ mệnh phóng tên lửa Mặt Trăng Artemis-1 dự kiến diễn ra vào ngày 27/9 cũng do ảnh hưởng của bão Ian.
Trước đó, NASA đã phải tạm hoãn sứ mệnh phóng tên lửa Mặt Trăng Artemis-1 dự kiến diễn ra vào ngày 27/9 cũng do ảnh hưởng của bão Ian.
Mời các bạn xem video: Trái đất trải qua tháng 9 nóng nhất trong lịch sử. Nguồn: THĐT.

GALLERY MỚI NHẤT