Bất ngờ trước cảnh đẹp của sao Hoả qua những hình ảnh mới nhất

Bất ngờ trước cảnh đẹp của sao Hoả qua những hình ảnh mới nhất

(Kiến Thức) - Loạt ảnh mới về sao Hỏa được chụp bởi một tàu thăm dò của NASA cho thấy những cảnh đẹp ngoạn mục chưa từng thấy trên bề mặt ''hàng xóm bí ẩn'' của Trái Đất.

Trong bức ảnh mới nhất chụp sao Hỏa được ghi lại bởi tàu thăm dò NASA, đá trầm tích tại vùng Meridiani Planum, gần xích đạo Hành tinh Đỏ xếp tầng như những bậc thang với màu cam và xanh tuyệt đẹp.
Trong bức ảnh mới nhất chụp sao Hỏa được ghi lại bởi tàu thăm dò NASA, đá trầm tích tại vùng Meridiani Planum, gần xích đạo Hành tinh Đỏ xếp tầng như những bậc thang với màu cam và xanh tuyệt đẹp.
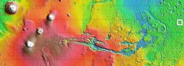
Trong khi bản đồ nhiệt địa trên bề mặt hành tinh này cho thấy nhiều xuất hiện khá nhiều ngọn đồi và miệng núi lửa rải rác trên khu vực tưởng chừng chỉ có những cảnh vật cằn cỗi.
Trong khi bản đồ nhiệt địa trên bề mặt hành tinh này cho thấy nhiều xuất hiện khá nhiều ngọn đồi và miệng núi lửa rải rác trên khu vực tưởng chừng chỉ có những cảnh vật cằn cỗi.
Trong một khoảnh khắc nếu tinh mắt, người xem còn có thể thấy được Curiosity - tàu thăm dò trị giá 2 tỷ USD của NASA. Được đưa lên và lang thang trên sao Hỏa kể từ năm 2012, những chiếc tàu thăm dò không gian có nhiệm vụ gửi lại hình ảnh chi tiết về bề mặt hành tinh này để giúp các nhà khoa học nghiên cứu về địa chất và khí hậu.
Trong một khoảnh khắc nếu tinh mắt, người xem còn có thể thấy được Curiosity - tàu thăm dò trị giá 2 tỷ USD của NASA. Được đưa lên và lang thang trên sao Hỏa kể từ năm 2012, những chiếc tàu thăm dò không gian có nhiệm vụ gửi lại hình ảnh chi tiết về bề mặt hành tinh này để giúp các nhà khoa học nghiên cứu về địa chất và khí hậu.
Một số bức ảnh khác tiết lộ sự thật thú vị về sao Hỏa, đó là ở các khu vực dốc, bề mặt có lớp băng ngầm (màu xanh lam) ẩn bên dưới.
Một số bức ảnh khác tiết lộ sự thật thú vị về sao Hỏa, đó là ở các khu vực dốc, bề mặt có lớp băng ngầm (màu xanh lam) ẩn bên dưới.
Một ''con quỷ bụi'' trên bề mặt sao Hỏa được ghi lại bởi Tàu quỹ đạo Trinh sát Sao Hỏa (MRO), được đưa lên năm 2006. Tàu được trang bị HiRISE (thiết bị khoa học cho hình ảnh độ phân giải cao) để gửi về những bức ảnh có chất lượng tốt nhất.
Một ''con quỷ bụi'' trên bề mặt sao Hỏa được ghi lại bởi Tàu quỹ đạo Trinh sát Sao Hỏa (MRO), được đưa lên năm 2006. Tàu được trang bị HiRISE (thiết bị khoa học cho hình ảnh độ phân giải cao) để gửi về những bức ảnh có chất lượng tốt nhất.
MRO cũng đang hỗ trợ NASA trong việc tìm kiếm các địa điểm hạ cánh trong tương lai cho các nhiệm vụ trên Sao Hỏa.
MRO cũng đang hỗ trợ NASA trong việc tìm kiếm các địa điểm hạ cánh trong tương lai cho các nhiệm vụ trên Sao Hỏa.
Một số hình ảnh ấn tượng khác về sao Hỏa từng được ghi lại. Những dòng cát chảy, có thể là tàn tích gây ra bởi những dòng nước chảy bên trong sườn dốc của miệng núi lửa trên sao Hỏa.
Một số hình ảnh ấn tượng khác về sao Hỏa từng được ghi lại. Những dòng cát chảy, có thể là tàn tích gây ra bởi những dòng nước chảy bên trong sườn dốc của miệng núi lửa trên sao Hỏa.
Tàu Opportunity đã phát hiện ra những quả cầu như băng tích tụ - cho thấy nước đã từng xuất hiện trên hành tinh này.
Tàu Opportunity đã phát hiện ra những quả cầu như băng tích tụ - cho thấy nước đã từng xuất hiện trên hành tinh này.
Khu vực với "kết cấu bất thường" ở tầng phía nam của miệng núi lửa Gale.
Khu vực với "kết cấu bất thường" ở tầng phía nam của miệng núi lửa Gale.
Những hình ảnh từ Sao Hỏa khiến thế giới phải kinh hoàng. Nguồn: Youtube

GALLERY MỚI NHẤT

MacBook Air M2 16GB 2026, món hời khó tin

MacBook Air M2 16GB 2026, món hời khó tin

Trong kỷ nguyên AI bùng nổ, MacBook Air M2 RAM 16GB nổi lên như lựa chọn “đáng tiền” nhờ hiệu năng ổn định, thiết kế mỏng nhẹ và giá bán ngày càng dễ tiếp cận.