Anh Tiến cho biết, tiến hành nuôi cá chạch lấu từ năm 2010, đến nay, gia đình anh có 5 ao nuôi cá chạch lấu giống và 9 lồng nuôi cá thương phẩm. Mỗi năm, anh thu hoạch được gần 30 tấn cá chạch lấu thương phẩm và bán ra thị trường khoảng 15-20 triệu con giống với giá từ 5-15 nghìn đồng/con, thu về khoảng 600 triệu đồng/năm.

Trong quá trình nuôi, sau khi nắm bắt kỹ thuật nuôi cá chạch lấu, anh Tiến nhận thấy cá heo nước ngọt cũng là loại cá mang lại giá trị kinh tế cao nhưng có rất ít mô hình nuôi và nhân giống thành công.
“Cá heo nước ngọt được coi là đặc sản của vùng sông nước đồng bằng sông Cửu Long bởi có thịt thơm, ngon, béo, ngậy. Trước đây, cá heo chỉ được đánh bắt ngoài tự nhiên, vào mùa nước lũ hàng năm nhưng những năm gần đây, tôi thấy một số mô hình nuôi cá heo nước ngọt ở Cần Thơ, An Giang rất thành công nên cũng tìm hiểu để nuôi”, anh Tiến nói.
Anh Tiến tận dụng ao nuôi cá chạch lấu để nuôi cá heo nước ngọt.
Năm 2022, anh Tiến tìm mua 1 tạ cá heo giống với giá 10 nghìn đồng/con, trung bình khoảng 350 con/kg về thả chung vào ao nuôi cá chạch lấu của gia đình.
Thức ăn của cá chạch lấu là giun, ấu trùng côn trùng, tôm tép, cá nhỏ xay nhuyễn thì thức ăn của cá heo nước ngọt cũng là các loài giáp xác, côn trùng, cá xay trộn cùng cám.
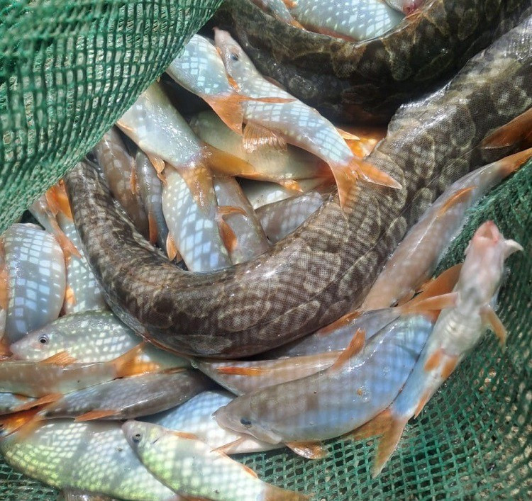
Cá heo nước ngọt được anh Tiến nuôi thành công cùng cá chạch lấu.
Sau khoảng 11 tháng nuôi cá heo nước ngọt với cá chạch lấu đã có kết quả. Cá chạch lấu đạt trọng lượng từ 0,7-1,3kg/con, cá heo đạt 25-30 con/kg.
Lứa cá heo đầu tiên anh Tiến thu hoạch gần 9 tạ cá thương phẩm để bán cho thương lái với giá từ 800-900 nghìn đồng/kg, thu khoảng trên 700 triệu đồng.
Ngoài bán thương phẩm, anh Tiến còn để lại khoảng 2 tạ để nhân giống, tự chủ nguồn con giống, phát triển kinh tế từ cá heo nước ngọt.
Theo anh Tiến, cá heo nước ngọt khá dễ nuôi, tỷ lệ hao hụt không đáng kể nhưng trước khi nuôi phải hút sạch nước, bắt hết cá tạp, phơi khô ao và khử trùng ao nuôi bằng vôi bột.
Cá chạch lấu và cá heo nước ngọt được anh Tiến nuôi trong bể bạt.
Khi nuôi trên ao bạt với mật độ dày thì cần thay nước hàng ngày, tháo nước bẩn, bơm nước sạch vào cho cá nhanh lớn và ít dịch bệnh. Đặc biệt, cá heo phải được nuôi ở nơi có dòng chảy mạnh, nếu nuôi trong ao phải có hệ thống sục khí liên tục.
Năm 2024, anh Tiến dự định sẽ sản xuất con giống cá heo nước ngọt để nuôi tại trang trại của gia đình, đồng thời cung cấp giống, thiết kế ao nuôi cho bà con chăn nuôi thuỷ sản có nhu cầu, nhận bao tiêu sản phẩm theo hợp đồng.