Nuôi Pet robot khiến cuộc sống trở nên "dễ thở" hơn

Nuôi Pet robot khiến cuộc sống trở nên "dễ thở" hơn

(Kiến Thức) - Hiện nay, các nhà khoa học đã chế tạo nên nhiều robot mô phỏng lại vẻ ngoài cùng đặc tính của các loại động vật nhằm giúp cho cuộc sống của con người trở nên dễ dàng hơn. 

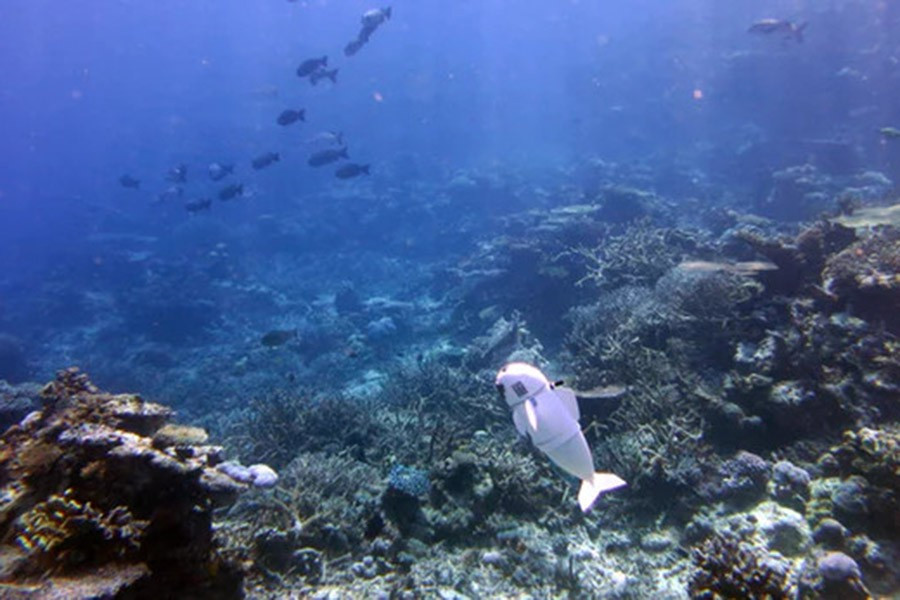
Năm 2018, các nhà nghiên cứu tại Trung tâm Khoa học Máy tính và Trí tuệ nhân tạo đại học MIT (CSAIL, Mỹ) đã chế tạo thành công một robot cá có thể bơi lội hòa đồng cùng những chú cá thật mà không hề bị chúng phát hiện ra.
Năm 2018, các nhà nghiên cứu tại Trung tâm Khoa học Máy tính và Trí tuệ nhân tạo đại học MIT (CSAIL, Mỹ) đã chế tạo thành công một robot cá có thể bơi lội hòa đồng cùng những chú cá thật mà không hề bị chúng phát hiện ra.
Chú robot cá này có tên là SoFi với trọng lượng 1,6kg, dài 47cm, có khả năng lặn sâu 21m trong 40 phút
Chú robot cá này có tên là SoFi với trọng lượng 1,6kg, dài 47cm, có khả năng lặn sâu 21m trong 40 phút
Vỏ ngoài của SoFi là sự kết hợp của cao su silicon mềm, nhựa đàn hồi và các miếng in bằng công nghệ 3D. Phần đuôi gắn động cơ chuyển động êm cho phép SoFi bắt trước cách chuyển hướng và hướng bơi nhanh chóng của các loài cá
Vỏ ngoài của SoFi là sự kết hợp của cao su silicon mềm, nhựa đàn hồi và các miếng in bằng công nghệ 3D. Phần đuôi gắn động cơ chuyển động êm cho phép SoFi bắt trước cách chuyển hướng và hướng bơi nhanh chóng của các loài cá
Ngoài ra, SoFi còn gắn các cảm biến giúp tránh va chạm hay gây nguy hại tới môi trường biển
Ngoài ra, SoFi còn gắn các cảm biến giúp tránh va chạm hay gây nguy hại tới môi trường biển
Bên cạnh đó, SoFi sử dụng hệ thống điều khiển bằng âm thanh để nhận các lệnh điều khiển từ xa. Chú robot cá còn được trang bị camera để ghi lại cuộc sống của những sinh vật dưới đáy biển.
Bên cạnh đó, SoFi sử dụng hệ thống điều khiển bằng âm thanh để nhận các lệnh điều khiển từ xa. Chú robot cá còn được trang bị camera để ghi lại cuộc sống của những sinh vật dưới đáy biển.
Với chú robot cá này, các nhà sinh vật học sẽ dễ dàng thu thập dữ liệu và quan sát về đời sống trong đại dương và những tác động của biến đổi khí hậu.
Với chú robot cá này, các nhà sinh vật học sẽ dễ dàng thu thập dữ liệu và quan sát về đời sống trong đại dương và những tác động của biến đổi khí hậu.
Vịt là loại gia cầm có tác dụng diệt trừ sâu bệnh trên đồng ruộng. Dựa trên đặc tính của loài gia cầm này, vào năm 2019, kỹ sư Tetsuma Nakamura tại nhà máy sản xuất ôtô Nissan (Nhật Bản) đã phát triển thành công chú vịt robot mang tên Aigamo, đặt theo giống vịt địa phương
Vịt là loại gia cầm có tác dụng diệt trừ sâu bệnh trên đồng ruộng. Dựa trên đặc tính của loài gia cầm này, vào năm 2019, kỹ sư Tetsuma Nakamura tại nhà máy sản xuất ôtô Nissan (Nhật Bản) đã phát triển thành công chú vịt robot mang tên Aigamo, đặt theo giống vịt địa phương
Chú vịt robot có thiết kế giống máy hút bụi với diện tích bề mặt khoảng 60 cm vuông và nặng 1,5 kg. Aigamo tự động di chuyển trên mặt nước, bên dưới có bộ phận khuấy bùn nhằm cản trở quá trình quang hợp của cỏ dại.
Chú vịt robot có thiết kế giống máy hút bụi với diện tích bề mặt khoảng 60 cm vuông và nặng 1,5 kg. Aigamo tự động di chuyển trên mặt nước, bên dưới có bộ phận khuấy bùn nhằm cản trở quá trình quang hợp của cỏ dại.
Aigamo có thể sạc điện từ tấm pin năng lượng mặt trời, có định vị GPS và bộ thu phát Wi-Fi.
Aigamo có thể sạc điện từ tấm pin năng lượng mặt trời, có định vị GPS và bộ thu phát Wi-Fi.
Chú vịt robot ra đời sẽ góp phần duy trì nền nông nghiệp sạch mà không cần phải dùng hóa chất. Tuy nhiên, Aigamo vẫn trong quá trình cải tiến để đáp ứng kỳ vọng có thể còn giúp diệt trừ sâu bọ như loài vịt chứ không dừng lại ở việc diệt cỏ dại.
Chú vịt robot ra đời sẽ góp phần duy trì nền nông nghiệp sạch mà không cần phải dùng hóa chất. Tuy nhiên, Aigamo vẫn trong quá trình cải tiến để đáp ứng kỳ vọng có thể còn giúp diệt trừ sâu bọ như loài vịt chứ không dừng lại ở việc diệt cỏ dại.
Trong CES (Consumer Electronics Show) - triển lãm điện tử tiêu dùng diễn ra tại Trung tâm Hội nghị Las Vegas (Mỹ) hồi tháng 1-2020, công ty PuduTech đã giới thiệu robot BellaBot - robot phục vụ được thiết kế trông giống như một chú mèo.
Trong CES (Consumer Electronics Show) - triển lãm điện tử tiêu dùng diễn ra tại Trung tâm Hội nghị Las Vegas (Mỹ) hồi tháng 1-2020, công ty PuduTech đã giới thiệu robot BellaBot - robot phục vụ được thiết kế trông giống như một chú mèo.
Màn hình máy tính của BellaBot được thiết kế mặt mèo có khả năng thể hiện nhiều biểu cảm khác nhau khi chúng ta chạm vào tai của nó.
Màn hình máy tính của BellaBot được thiết kế mặt mèo có khả năng thể hiện nhiều biểu cảm khác nhau khi chúng ta chạm vào tai của nó.
BellaBot làm rất tốt chức năng chính của mình là định vị và điều hướng chính xác mệnh lệnh của người dùng. Do vậy, robot phục vụ này là trợ thủ đắc lực trong nhiều nhà hàng, quán ăn.
BellaBot làm rất tốt chức năng chính của mình là định vị và điều hướng chính xác mệnh lệnh của người dùng. Do vậy, robot phục vụ này là trợ thủ đắc lực trong nhiều nhà hàng, quán ăn.
Điều thú vị là BellaBot có thể sẽ tỏ thái độ cáu gắt nếu bạn sờ vào tai nó quá nhiều.
Điều thú vị là BellaBot có thể sẽ tỏ thái độ cáu gắt nếu bạn sờ vào tai nó quá nhiều.
Mới đây, trong hội nghị Fintech (hội nghị về kinh tế kỹ thuật số toàn cầu, công nghệ sáng tạo và tài chính kỹ thuật số) diễn ra tại Thượng Hải (Trung Quốc), công ty Weilan đã cho ra mắt phiên bản mới của chó robot AlphaDog.
Mới đây, trong hội nghị Fintech (hội nghị về kinh tế kỹ thuật số toàn cầu, công nghệ sáng tạo và tài chính kỹ thuật số) diễn ra tại Thượng Hải (Trung Quốc), công ty Weilan đã cho ra mắt phiên bản mới của chó robot AlphaDog.
Chú chó robot này được tích hợp các công nghệ như AI, Internet vạn vật (Iot), cộng nghệ 5G và lái xe tự động. Với tính năng ưu việt như vậy, chó robot có khả năng đi tuần tra, giúp bảo vệ người và tài sản, giao hàng và dẫn đường cho người khiếm thị.
Chú chó robot này được tích hợp các công nghệ như AI, Internet vạn vật (Iot), cộng nghệ 5G và lái xe tự động. Với tính năng ưu việt như vậy, chó robot có khả năng đi tuần tra, giúp bảo vệ người và tài sản, giao hàng và dẫn đường cho người khiếm thị.

GALLERY MỚI NHẤT

Amazon sa thải 30.000 nhân viên vì AI

Amazon sa thải 30.000 nhân viên vì AI

Amazon bước vào cuộc tái cấu trúc lớn nhất lịch sử, sa thải 30.000 nhân viên và yêu cầu 80% lập trình viên phải dùng AI mỗi tuần để tăng hiệu suất.