Siêu bão Hải Yến (Haiyan) đã đổ bộ vào Philippines vào sáng sớm 8/11 (giờ địa phương).
 |
| Một người dân Philippines đứng gần bờ biển lúc siêu bão Hải Yến tràn vào tại thành phố Legaspi ngày 8.11. |
Vậy siêu bão Hải Yến khủng khiếp đến cỡ nào? Dưới đây là đánh giá của tờ USA Today (Mỹ):
- Siêu bão Hải Yến có sức gió lên đến 314 km/giờ và giật đến 379 km/giờ. Đây là một trong những cơn bão có tốc độ gió mạnh nhất trong lịch sử thế giới.
- Đây là cơn bão đổ bộ vào đất liền mạnh nhất trong lịch sử, nếu tính theo sức gió đo bằng vệ tinh. Siêu bão loại này có thể thổi tung các mái nhà dễ dàng, làm sập tường và làm tróc mái nhà do sức ép lớn mà chúng tạo ra.
- Siêu bão Hải Yến rộng đến hơn 483 km.
- Siêu bão Hải Yến là siêu bão thứ 4 tiến vào Philippines trong năm 2013
- Khoảng 10 triệu người đang sống tại các đảo miền trung Philippines đang bị đe dọa trực tiếp bởi siêu bão Hải Yến
- Bão Hải Yến có thể gây ra sóng thần cao đến khoảng 5m ở một số khu vực tại Philippines.
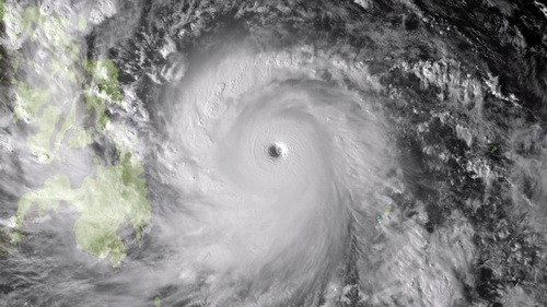
 |
| Hình ảnh siêu bão Hải Yến chụp từ vệ tinh vào hôm 7.11 của Cơ quan Khí tượng Nhật Bản |
- Mực nước biển tăng từ việc Trái đất ấm lên sẽ làm gia tăng nguy cơ từ bão lũ trên khắp thế giới, bao gồm những vùng trũng tại Philippines.
- Haiyan là phiên âm tiếng Anh của từ Trung Quốc, có nghĩa là chim hải âu. Hải Yến là âm Hán Việt của từ Haiyan.
- Philippines gọi Hải Yến là Siêu bão Yolanda. Tổ chức Khí tượng Thế giới (WMO) là cơ quan đặt tên bão, để có tên gọi nhất quán cho cơn bão, nhưng các quốc gia cũng có quyền đặt tên theo ý họ.
 |
| Một bà mẹ và hai đứa con chật vật đi đến trung tâm sơ tán trong thời tiết mưa bão |
 |
| Một người dân Philippines chạy băng qua một cái cây bị bão xô ngã tại thành phố Cebu (Philippines) ngày 8/11 |